Bei der Aufstellung von Bebauungsplänen hat die Öffentlichkeit gemäß § 3 BauGB in der Regel zwei Mal Gelegenheit, sich über die Planung zu informieren und hierzu eine Stellungnahme abzugeben.
Bei Abgabe einer Stellungnahme erfolgt die Verarbeitung personenbezogener Daten auf der Grundlage von Artikel 6 Absatz 1 Buchstabe e der Datenschutzverordnung (DSGVO) in Verbindung mit § 3 Baugesetzbuch (BauGB) und dem Landesdatenschutzgesetz. Weitere Informationen entnehmen Sie bitte dem Informationsblatt.
Auf den nachfolgenden Seiten finden Sie Informationen und Unterlagen zu Bebauungsplanentwürfen, für die aktuell eine Öffentlichkeitsbeteiligung erfolgt. Darüber hinaus können Sie auch in Unterlagen zu bereits durchgeführten Beteiligungsverfahren Einsicht nehmen, sofern der betreffende Bebauungsplan noch nicht als Satzung beschlossen wurde.
Hinweis zur Bekanntmachung der Beteiligung der Öffentlichkeit nach § 3 BauGB:
Der zu den Verfahren der Öffentlichkeitsbeteiligung jeweils abgedruckte Text entspricht inhaltlich weitgehend der Bekanntmachung in den Lübecker Nachrichten sowie in den Bekanntmachungen der Hansestadt Lübeck. Maßgeblich für die Richtigkeit und Vollständigkeit der Bekanntmachung ist allein die Bekanntmachung in den beiden vorgenannten Medien.
Aktuelle Beteiligungsverfahren
Zur Zeit sind keine Beteiligungsverfahren im Umlauf
Durchgeführte Beteiligungsverfahren zu in Aufstellung befindlichen Bebauungsplänen
Hinweis: Die nachfolgend zum Download bereitgestellten Unterlagen geben jeweils den Planungsstand zum Zeitpunkt des durchgeführten Beteiligungsverfahrens wieder. Aufgrund der Weiterbearbeitung des Bebauungsplanentwurfes entsprechen die Unterlagen ggf. nicht mehr dem aktuellen Planungsstand. Unter der in der Bekanntmachung genannten Durchwahl können Sie sich ggf. zum aktuellen Stand des Verfahrens informieren.
Bebauungsplan 11.04.00 – Solarpark Blasfeld / Wulfsdorf – und zugehörige 153. Änderung des Flächennutzungsplans
Der Bauausschuss der Hansestadt Lübeck hat in seiner Sitzung am 06.10.2025 die Aufstellung des Bebauungsplans 11.04.00 – Solarpark Blasfeld / Wulfsdorf – und der zugehörigen 153. Änderung des Flächennutzungsplans beschlossen.
Das rd. 20 ha große Plangebiet liegt im Stadtteil St. Jürgen, in der Gemarkung Wulfsdorf, westlich der Bundesstraße 207 (B 207) und der Bahnstrecke Lübeck - Lüneburg. Das Plangebiet wird im Norden durch die Straße Blasfeld, im Osten durch die Bahnstrecke Lübeck - Lüneburg, im Süden durch den Wulfsdorfer Weg und im Westen durch die Ortslage Wulfsdorf begrenzt, die sich jedoch mindestens 200 m entfernt befindet. Zwischen der Ortslage und dem Geltungsbereich der geplanten Anlage befinden sich landwirtschaftlich genutzte Flächen. An der Westseite ist der Zuschnitt so gewählt, dass weiterhin nutzbare landwirtschaftliche Flächen verbleiben, die bewirtschaftet werden können.
Die detaillierte Abgrenzung des Geltungsbereichs zeigt der Übersichtsplan (siehe unten, Dateien zum Download).
Mit der Aufstellung des Bebauungsplans und der Änderung des Flächennutzungsplans sollen die planungsrechtlichen Voraussetzungen für die Errichtung einer Freiflächen-Photovoltaikanlage einschließlich zugehöriger Nebenanlagen geschaffen werden.
Frühzeitige Beteiligung der Öffentlichkeit gemäß § 3 Abs. 1 BauGB
Der Öffentlichkeit wird gemäß § 3 Abs. 1 BauGB in der Zeit vom 03.12.2025 bis einschließlich 09.01.2026 Gelegenheit zur Information über die Ziele, Zwecke und voraussichtlichen Auswirkungen der Planung sowie zur Äußerung und Erörterung gegeben:
Während dieser Frist können alle an der Planung Interessierten die Planunterlagen einsehen und sich vorzugsweise per E-Mail (bebauungsplanung@luebeck.de), per Post (Hansestadt Lübeck, Bereich Stadtplanung und Bauordnung, Mühlendamm 12, 23552 Lübeck) oder während eines vereinbarten Termins hierzu äußern.
Die Unterlagen können über die unten stehenden Links abgerufen werden.
Zusätzlich können die Unterlagen im Bürgerservicebereich des Fachbereichs Planen und Bauen, Mühlendamm 10, 23552 Lübeck zu folgenden Öffnungszeiten eingesehen werden:
montags bis mittwochs jeweils 8.00 - 15.00 Uhr, donnerstags 8.00 - 18.00 Uhr und freitags 8.00 - 12.00 Uhr sowie nach vorheriger telefonischer Vereinbarung - Tel.: 0451-122 6132 (oder per E-Mail an: bebauungsplanung@luebeck.de).
Die Ziele und Zwecke der Planung und ihre voraussichtlichen Auswirkungen werden in einer Öffentlichen Veranstaltung am 08.12.2025 um 18:30 Uhr im Forum der Paul-Klee-Schule (Alexander-Flemming-Straße 6, 23562 Lübeck) vorgestellt. Der Öffentlichkeit wird hierbei Gelegenheit zur Äußerung und Erörterung gegeben. Präsentation | Protokoll
Die frühzeitige Öffentlichkeitsbeteiligung ist zugleich die Beteiligung der Kinder und Jugendlichen an der Planung gemäß § 47 f der Gemeindeordnung für Schleswig-Holstein (GO).
Im weiteren Verfahren ist eine Öffentlichkeitsbeteiligung gemäß § 3 Abs. 2 BauGB vorgesehen, bei der die Öffentlichkeit erneut Gelegenheit zur Erörterung und Stellungnahme erhält. Hierzu wird eine gesonderte Bekanntmachung erfolgen.
Die Verarbeitung personenbezogener Daten erfolgt auf der Grundlage von Artikel 6 Absatz 1 Buchstabe e der Datenschutzgrundverordnung (DSGVO) in Verbindung mit § 3 BauGB und dem Landesdatengesetz. Sofern Sie ihre Stellungnahme ohne Absenderangabe abgeben, erhalten Sie keine Mitteilung über das Ergebnis der Prüfung. Weitere Informationen entnehmen Sie bitte dem Informationsblatt „Informationspflichten bei der Erhebung von Daten im Rahmen der Öffentlichkeitsbeteiligung nach dem BauGB (Artikel 13 DSGVO)“, das mit ausliegt.
Lübeck, 01.12.2025
Hansestadt Lübeck Der Bürgermeister
Fachbereich 5 – Planen und Bauen
Bereich Stadtplanung und Bauordnung
Unterlagen zum Download (PDF)
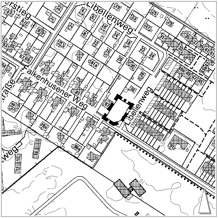
Bebauungsplan 09.75.00 – Falkenhusener Weg / Libellenweg
Der Bauausschuss der Hansestadt Lübeck hat am 16.06.2025 zum Bebauungsplan 09.75.00 – Falkenhusener Weg / Libellenweg – die Beteiligung der Öffentlichkeit gemäß § 3 Abs. 2 BauGB beschlossen.
Das Bebauungsplanverfahren wird gemäß § 13a BauGB im beschleunigten Verfahren ohne Durchführung einer Umweltprüfung § 2 Abs. 4 BauGB aufgestellt.
Das Plangebiet liegt im Stadtteil St. Jürgen, Stadtbezirk Strecknitz/ Rothebek und umfasst räumlich die Parkplatzfläche an der Ecke Falkenhusener Weg / Libellenweg – Flurstück 93, Flur 6 der Gemarkung Strecknitz. Die Plangebietsgröße beträgt ca. 775 m². Die detaillierte Abgrenzung des Geltungsbereichs des Bebauungsplans zeigt der Übersichtsplan (siehe unten, Unterlagen zum Download).
Der Bebauungsplan 09.75.00 – Falkenhusener Weg / Libellenweg wird aufgestellt, um die planungsrechtlichen Voraussetzungen für die Realisierung von zwei freistehenden Einfamilienhäusern zu schaffen.
Beteiligung der Öffentlichkeit gemäß § 3 Abs. 2 BauGB
Die Veröffentlichung des Planentwurfs gemäß § 3 Abs. 2 BauGB erfolgt vom 04.08.2025 bis einschließlich 05.09.2025 auf den Internetseiten der Hansestadt Lübeck mit der Möglichkeit zum Download der Unterlagen.
Folgende Unterlagen stehen zur Verfügung: Der Entwurf des Bebauungsplanes mit der zugehörigen Begründung.
Zusätzlich werden die Unterlagen im Foyer des Fachbereichs Planen und Bauen, Mühlendamm 12, 23552 Lübeck, zu folgenden Öffnungszeiten ausgelegt: montags bis mittwochs jeweils 8.00 - 15.00 Uhr, donnerstags 8.00 - 18.00 Uhr und freitags 8.00 - 12.00 Uhr sowie nach vorheriger telefonischer Vereinbarung (zuständige Sachbearbeiterin Tel.: (0451) 122 6138 oder per E‑Mail: bebauungsplanung@luebeck.de).
Während der Veröffentlichungsfrist können alle an der Planung Interessierten die Planunterlagen einsehen sowie Stellungnahmen hierzu vorzugsweise per E-Mail, schriftlich (Hansestadt Lübeck, Bereich Stadtplanung und Bauordnung, Mühlendamm 12, 23552 Lübeck) oder während eines vereinbarten Termins (Tel.: (0451) 122 6138) zur Niederschrift abgeben.
Ansprechpartner:in: Bei Rückfragen wenden Sie sich bitte an die zuständige Sachbearbeiterin unter der Tel.: (0451) 122 6138 oder schreiben Sie eine E-Mail an bebauungsplanung@luebeck.de.
Nicht fristgerecht abgegebene Stellungnahmen können bei der Beschlussfassung über den Bebauungsplan unberücksichtigt bleiben, wenn die Hansestadt Lübeck den Inhalt nicht kannte und nicht hätte kennen müssen und deren Inhalt für die Rechtmäßigkeit des Bauleitplans nicht von Bedeutung ist.
Unterlagen zum Download (PDF)
Planunterlagen
Bebauungsplan 09.13.00 – Bornkamp / Schärenweg sowie 122. Änderung des Flächennutzungsplans
Der Bauausschuss der Hansestadt Lübeck hat am 21.07.2025 zum Bebauungsplan 09.13.00 – Bornkamp / Schärenweg – sowie zur 122. Änderung des Flächennutzungsplans die Beteiligung der Öffentlichkeit gemäß § 3 Abs. 2 BauGB beschlossen.
Das Plangebiet liegt im Stadtteil St. Jürgen, Stadtbezirk Strecknitz. Es umfasst die zwischen dem Bahnhaltepunkt Hochschulstadtteil und der Wohnsiedlung Bornkamp gelegene Freifläche, die heute in Teilen mit Containern für eine Flüchtlingsunterkunft bestanden ist, sowie Teile des nördlich angrenzenden Kleingartengeländes. Die Plangebietsgröße beträgt ca. 5,1 ha. Die detaillierte Abgrenzung des Geltungsbereichs des Bebauungsplans zeigt der Übersichtsplan (siehe unten, Unterlagen zum Download).
Mit der Aufstellung des Bebauungsplans und der zugehörigen Änderung des Flächennutzungsplans sollen die planungsrechtlichen Voraussetzungen für die Entwicklung eines Wohngebiets für unterschiedliche Nutzergruppen (allgemeines Wohnen, Studierendenwohnen) geschaffen werden.
Beteiligung der Öffentlichkeit gemäß § 3 Abs. 2 BauGB
Die Veröffentlichung des Planentwurfs gemäß § 3 Abs. 2 BauGB erfolgt vom 28.07.2025 bis einschließlich 01.09.2025 auf den Internetseiten der Hansestadt Lübeck mit der Möglichkeit zum Download der Unterlagen.
Folgende Unterlagen stehen zur Verfügung: Entwürfe der Bauleitpläne mit den zugehörigen Begründungen sowie umweltbezogene Stellungnahmen.
Zusätzlich werden die Unterlagen im Foyer des Fachbereichs Planen und Bauen, Mühlendamm 12, 23552 Lübeck, zu folgenden Öffnungszeiten ausgelegt: montags bis mittwochs jeweils 8.00 - 15.00 Uhr, donnerstags 8.00 - 18.00 Uhr und freitags 8.00 - 12.00 Uhr sowie nach vorheriger telefonischer Vereinbarung (zuständige Sachbearbeiterin Tel.: (0451) 122 6173 oder per E‑Mail: bebauungsplanung@luebeck.de).
Während der Veröffentlichungsfrist können alle an der Planung Interessierten die Planunterlagen einsehen sowie Stellungnahmen hierzu vorzugsweise per E-Mail, schriftlich (Hansestadt Lübeck, Bereich Stadtplanung und Bauordnung, Mühlendamm 12, 23552 Lübeck) oder während eines vereinbarten Termins (Tel.: (0451) 122 6173) zur Niederschrift abgeben.
Ansprechpartner:in: Bei Rückfragen wenden Sie sich bitte an die zuständige Sachbearbeiterin unter der Tel.: (0451) 122 6173 oder schreiben Sie eine E-Mail an bebauungsplanung@luebeck.de.
Nicht fristgerecht abgegebene Stellungnahmen können bei der Beschlussfassung über den Bebauungsplan unberücksichtigt bleiben, wenn die Hansestadt Lübeck den Inhalt nicht kannte und nicht hätte kennen müssen und deren Inhalt für die Rechtmäßigkeit des Bauleitplans nicht von Bedeutung ist.
Unterlagen zum Download (PDF) - Planunterlagen
1) Übersichtsplan mit Geltungsbereich des Bebauungsplans 09.13.00
2) Luftbild mit Geltungsbereich des Bebauungsplans 09.13.00
3) Ausschnitt aus dem geltenden Flächennutzungsplan
4) 122. Änderung des Flächennutzungsplans
5) Begründung zur 122. Änderung des Flächennutzungsplans
6) Entwurf des Bebauungsplans 09.13.00 (Planoriginal)
7) Teil A: Planzeichnung des Bebauungsplanentwurfs 09.13.00 mit Planzeichenerklärung (A3-Druckfassung)
8) Teil B: Textliche Festsetzungen des Bebauungsplanentwurfes 13.00 (A4-Druckfassung)
9) Begründung zum Bebauungsplanentwurf 13.00
10) Anlage zur Begründung Städtebaulicher Entwurf
11) Auswertung der Stellungnahmen aus vorangegangenen Beteiligungen
Fachgutachten / Umweltbezogene Stellungnahmen
12) Baugrundvorerkundung und -beurteilung, Baukontor Dümcke GmbH, 22.06.2018
13) Schalltechnischen Untersuchung, Überarbeitung 1, ALN Akustik Labor Nord GmbH, 20.12.2024
14) Artenschutzrechtlichen Prüfung mit Kartierung der Zauneidechse, BBS Büro Greuner-Pö-nicke, 20.01.2025
15) Untersuchung zum Vorkommen der Zauneidechse, BBS Büro Greuner-Pönicke, 27.05.2024
16) Wasserwirtschaftlicher Begleitplan, OtterWasser GmbH, 11.2019
17) Sichtachsenstudie, ter Balk Landschaftsarchitektur, 30.03.2021
18) Umweltbezogene Stellungnahmen aus vorangegangenen Beteiligungen
Bebauungsplan 32.26.00 – Helldahl / Leegerwall
Der Bauausschuss der Hansestadt Lübeck hat in seiner Sitzung am 21.07.2025 zum Bebauungsplan 32.26.00 – Helldahl / Leegerwall – die Beteiligung der Öffentlichkeit gemäß § 3 Abs. 2 BauGB beschlossen. Der Bebauungsplan wird im vereinfachten Verfahren gemäß § 13 BauGB aufgestellt. Von der Durchführung einer Umweltprüfung gemäß § 2 Abs. 4 BauGB wird abgesehen.
Das Plangebiet des Bebauungsplans 32.26.00 – Helldahl / Leegerwall – liegt im Stadtteil Travemünde,
- südöstlich des Landschaftsschutzgebiets Brodtener Winkel, der Straße Kowitzberg und des kleinen Parks nördlich der Bebauung an der Scheteligstraße
- nordwestlich der Straßen Strandweg, Strandredder und Helldahl und
- nordöstlich der Straße Leegerwall.
Die detaillierte Abgrenzung des Geltungsbereichs des Bebauungsplans zeigt der Übersichtsplan (siehe unten).
Mit der Aufstellung des Bebauungsplans sollen im Wesentlichen die planungsrechtlichen Voraussetzungen für eine geordnete städtebauliche Entwicklung unter Erhalt der vorhandenen städtebaulichen Strukturen geschaffen werden.
Beteiligung der Öffentlichkeit gemäß § 3 Abs. 2 Baugesetzbuch (BauGB)
Die Veröffentlichung des Planentwurfs gemäß § 3 Abs. 2 BauGB erfolgt vom 28.07.2025 bis einschließlich 01.09.2025 auf den Internetseiten der Hansestadt Lübeck mit der Möglichkeit zum Download der Unterlagen.
Zusätzlich werden die Unterlagen im Foyer des Fachbereichs Planen und Bauen, Mühlendamm 12, 23552 Lübeck, zu folgenden Öffnungszeiten ausgelegt: montags bis mittwochs jeweils 8.00 - 15.00 Uhr, donnerstags 8.00 - 18.00 Uhr und freitags 8.00 - 12.00 Uhr sowie nach vorheriger telefonischer Vereinbarung (Tel.: (0451) 122 6131 oder per E-Mail: bebauungsplanung@luebeck.de).
Während der Veröffentlichungsfrist können alle an der Planung Interessierten die Planunterlagen einsehen sowie Stellungnahmen hierzu vorzugsweise per E-Mail, schriftlich (Hansestadt Lübeck, Bereich Stadtplanung und Bauordnung, Mühlendamm 12, 23552 Lübeck) oder während eines vereinbarten Termins (Tel.: (0451) 122 6131) zur Niederschrift abgeben.
Ansprechpartner:in: bei Rückfragen Tel.: (0451) 122 6131 oder schreiben Sie eine E-Mail an bebauungsplanung@luebeck.de.
Nicht fristgerecht abgegebene Stellungnahmen können bei der Beschlussfassung über den Bebauungsplan unberücksichtigt bleiben, wenn die Hansestadt Lübeck den Inhalt nicht kannte und nicht hätte kennen müssen und deren Inhalt für die Rechtmäßigkeit des Bauleitplans nicht von Bedeutung ist.
Die Verarbeitung personenbezogener Daten erfolgt auf der Grundlage von Artikel 6 Absatz 1 Buchstabe e der Datenschutzgrundverordnung (DSGVO) in Verbindung mit § 3 BauGB und dem Landesdatengesetz. Sofern Sie ihre Stellungnahme ohne Absenderangabe abgeben,
erhalten Sie keine Mitteilung über das Ergebnis der Prüfung. Weitere Informationen entnehmen Sie bitte dem Informationsblatt „Informationspflichten bei der Erhebung von Daten im Rahmen der Öffentlichkeitsbeteiligung nach dem BauGB (Artikel 13 DSGVO)“, das mit ausliegt.
Unterlagen zum Download:
Bebauungsplan 32.59.00 – Howingsbrook / Rödsaal – und zugehörige 100. Änderung des Flächennutzungsplans
Der Bauausschuss der Hansestadt Lübeck hat in seiner Sitzung am 19.03.2018 die Aufstellung Bebauungsplan 32.59.00 – Howingsbrook / Rödsaal – und die zugehörige 100. Änderung des Flächennutzungsplans beschlossen.
Das ca. 10 ha große Plangebiet liegt im Stadtteil Travemünde innerhalb des Stadtbezirks Alt Travemünde und umfasst überwiegend landwirtschaftlich genutzte Flächen.
Begrenzt wird das Plangebiet
- im Norden durch die Straße Rödsaal,
- im Osten durch die Straße Steenkamp,
- im Süden durch die Straße Howingsbrook,
- im Westen durch vorhandene Knickstrukturen.
Der räumliche Geltungsbereich der 100. Änderung des Flächennutzungsplanes umfasst lediglich einen Teil der Flächen innerhalb des Geltungsbereiches des Bebauungsplanes 32.59.00 – konkret die landwirtschaftlich genutzten Flächen.
Die detaillierte Abgrenzung der Geltungsbereiche entnehmen Sie bitte dem beigefügten Übersichtsplan (siehe Unterlagen zum Download).
Durch den vorgenannten Bebauungsplan sowie die zugehörige Änderung des Flächennutzungsplanes sollen im Wesentlichen die planungsrechtlichen Voraussetzungen für die Entwicklung eines neuen Wohngebietes einschließlich erforderlicher Infrastruktur (u. a. Kita, Spiel- und Grünflächen) am nördlichen Siedlungsrand von Travemünde geschaffen werden.
Frühzeitige Beteiligung der Öffentlichkeit gemäß § 3 Abs. 1 Baugesetzbuch (BauGB)
Die Ziele und Zwecke der Planung und ihre voraussichtlichen Auswirkungen werden in einer
Öffentlichen Veranstaltung am 24.07.2025 um 18.30 Uhr | Infoflyer zur Veranstaltung | Präsentation | Protokoll
in den Räumlichkeiten des Gemeinnützigen Vereins in Travemünde, Torstraße 1, 23570 Lübeck, vorgestellt. Der Öffentlichkeit wird hierbei Gelegenheit zur Äußerung und Erörterung gegeben.
Zudem wird der Öffentlichkeit gemäß § 3 Abs. 1 BauGB in der Zeit vom 14.07.2025 bis einschließlich 01.08.2025 Gelegenheit zur Information über die Ziele, Zwecke und voraussichtlichen Auswirkungen der Planung sowie zur Äußerung und Erörterung gegeben:
Die Unterlagen können über die untenstehenden Links abgerufen werden.
Zusätzlich können die Unterlagen im Bürgerservicebereich des Fachbereichs Planen und Bauen, Mühlendamm 10, 23552 Lübeck zu folgenden Öffnungszeiten eingesehen werden:
montags bis mittwochs jeweils 8.00 - 15.00 Uhr, donnerstags 8.00 - 18.00 Uhr und freitags 8.00 - 12.00 Uhr sowie nach vorheriger telefonischer Vereinbarung – Tel.: (0451) 122 6154 oder per E-Mail an: bebauungsplanung@luebeck.de.
Während dieser Frist können alle an der Planung Interessierten die Planunterlagen einsehen und sich vorzugsweise per E-Mail (bebauungsplanung@luebeck.de), per Post (Hansestadt Lübeck, Bereich Stadtplanung und Bauordnung, Mühlendamm 12, 23552 Lübeck) oder während eines vereinbarten Termins hierzu äußern.
Die frühzeitige Öffentlichkeitsbeteiligung ist zugleich die Beteiligung der Kinder und Jugendlichen an der Planung gemäß § 47 f der Gemeindeordnung für Schleswig-Holstein (GO).
Im weiteren Verfahren ist eine Öffentlichkeitsbeteiligung gemäß § 3 Abs. 2 BauGB vorgesehen, bei der die Öffentlichkeit erneut Gelegenheit zur Erörterung und Stellungnahme erhält. Hierzu wird eine gesonderte Bekanntmachung erfolgen.
Die Verarbeitung personenbezogener Daten erfolgt auf der Grundlage von Artikel 6 Absatz 1 Buchstabe e der Datenschutzgrundverordnung (DSGVO) in Verbindung mit § 3 BauGB und dem Landesdatengesetz. Sofern Sie ihre Stellungnahme ohne Absenderangabe abgeben, erhalten Sie keine Mitteilung über das Ergebnis der Prüfung. Weitere Informationen entnehmen Sie bitte dem Informationsblatt „Informationspflichten bei der Erhebung von Daten im Rahmen der Öffentlichkeitsbeteiligung nach dem BauGB (Artikel 13 DSGVO)“, das mit ausliegt.
Ansprechpartner: Bei Rückfragen wenden Sie sich bitte an die Sachbearbeiterin Tel.: (0451) 122 6154 oder schreiben Sie eine E-Mail an: bebauungsplanung@luebeck.de
Unterlagen zum Download (PDF):
- Übersichtsplan Geltungsbereiche
- Luftbild mit Geltungsbereich des Bebauungsplanes
- Städtebaulicher Entwurf, Stand 09/2022
- Lageplan Verkehrsflächen, Stand 11/2022
- Erläuterung der Planung zum Bebauungsplan 32.59.00 und zur zugehörigen 100. Änderung des Flächennutzungsplans, Stand 07/2025 (A4-Druckfassung)
- Ausschnitt aus dem geltenden Flächennutzungsplan für den Teilbereich Howingsbrook / Rödsaal (A4-Druckfassung)
- Entwurf der 100. Änderung des Flächennutzungsplanes (A4-Druckfassung)
- Artenschutzrechtliche Prüfung, BBS Umwelt GmbH, Kiel, 22.02.2017
- Prüfung Natura 2000, BBS Umwelt GmbH, Kiel, 04.01.2017
- Orientierende Baugrunderkundung, Sachverständigen-Ring GmbH, Bad Schwartau, 25.11.2015
- Machbarkeitsprüfung Nutzung Geothermie, H.S.W., Rostock, 29.10.2019
- Überprüfung auf Kampfmittelbelastung, Kampfmittelräumdienst SH, Stellungnahme vom 28.11.2022
Die Hansestadt Lübeck weist darauf hin, dass sie für das Baugebiet keine Interessentenliste führt. Kaufinteressierte wenden sich bitte an die Kontaktdaten unter diesem Link.
Bebauungsplan 24.08.00 – Friedhofsallee / Ehemalige Stadtgärtnerei –
und zugehörige 126. Änderung des Flächennutzungsplans
Für das Plangebiet des Bebauungsplanes 24.08.00 – Friedhofsallee / Ehemalige Stadtgärtnerei – wurde bereits eine frühzeitige Beteiligung der Öffentlichkeit gemäß § 3 Abs. 1 Baugesetzbuch (BauGB) durchgeführt. Aufgrund der Erweiterung des Geltungsbereiches und der Änderung der Planung erfolgt eine erneute frühzeitige Beteiligung der Öffentlichkeit.
Der Geltungsbereich des Bebauungsplanes 24.08.00 liegt im Nordwesten des Stadtteils St. Lorenz Nord, Stadtbezirk Dornbreite/Krempelsdorf. Begrenzt wird das ca. 14,2 ha große Plangebiet
- im Norden durch den Vorwerker Friedhof,
- im Osten durch die Friedhofsallee,
- im Süden durch das Grundstück Paul-Gerhardt-Straße Nr. 2 und 2a-c,
- im Südwesten durch die Paul-Gerhardt-Straße und die Ökosiedlung Flintenbreite sowie den Spielplatz Flintenbreite und
- im Nordwesten durch das Landschaftsschutzgebiet „Fackenburger Landgraben und
Tremser Teich“ und den Vorwerker Friedhof.
Der räumliche Geltungsbereich der 126. Änderung des Flächennutzungsplanes (ca. 5,1 ha) umfasst lediglich einen Teil der Flächen innerhalb des Geltungsbereiches des Bebauungsplanes 24.08.00 – konkret die Flächen der ehemaligen Stadtgärtnerei, potentielle Friedhofserweiterungsflächen und nicht mehr genutzte Flächen der Kleingartenanlage.
Die detaillierte Abgrenzung der Bauleitpläne entnehmen Sie bitte dem beigefügten Übersichtsplan (siehe unten, Unterlagen zum Download).
Mit der Aufstellung des Bebauungsplans und der Änderung des Flächennutzungsplans sollen im Wesentlichen die planungsrechtlichen Voraussetzungen für die Entwicklung eines städtischen Wohnquartiers mit Geschosswohnungsbau, Reihenhäusern und einer Kindertagesstätte auf städtischen Flächen geschaffen werden. Zusätzlich werden entlang der Friedhofsallee auf privaten rückwärtigen Grundstücksflächen Bauflächen für eine Nachverdichtung mit überwiegend Einfamilien- und Doppelhäusern geplant.
Frühzeitige Beteiligung der Öffentlichkeit gemäß § 3 Abs. 1 Baugesetzbuch (BauGB)
Der Öffentlichkeit wird in der Zeit vom 07.07.2025 bis einschließlich 01.08.2025 Gelegenheit zur Information über Ziel, Zweck und voraussichtliche Auswirkungen der Planung sowie zur Erörterung und Stellungnahme gegeben.
Während dieser Frist können alle an der Planung Interessierten die Planunterlagen einsehen und sich vorzugsweise per E-Mail (bebauungsplanung@luebeck.de), per Post (Hansestadt Lübeck, Bereich Stadtplanung und Bauordnung, Mühlendamm 12, 23552 Lübeck) oder während eines vereinbarten Termins (Tel.: (0451) 122 6135) hierzu äußern.
Die Unterlagen können über die untenstehenden Links abgerufen werden.
Zusätzlich können die Unterlagen im Bürgerservicebereich des Fachbereichs Planen und Bauen, Mühlendamm 10, 23552 Lübeck zu folgenden Öffnungszeiten eingesehen werden:
montags bis mittwochs jeweils 8.00 - 15.00 Uhr, donnerstags 8.00 - 18.00 Uhr und freitags 8.00 - 12.00 Uhr sowie nach vorheriger Vereinbarung (Tel.: (0451) 122 6135 oder per E-Mail bebauungsplanung@luebeck.de).
Die frühzeitige Öffentlichkeitsbeteiligung ist gleichzeitig die Beteiligung der Kinder und Jugendlichen an der Planung gemäß § 47 f der Gemeindeordnung für Schleswig-Holstein (GO). Die Behörden und Träger öffentlicher Belange werden gem. § 4 Abs. 1 BauGB parallel zur Öffentlichkeit beteiligt und um Stellungnahme gebeten.
Im weiteren Verlauf des Bauleitplanverfahren ist eine Öffentlichkeitsbeteiligung gemäß § 3 Abs. 2 BauGB vorgesehen, bei der die Öffentlichkeit erneut Gelegenheit zur Erörterung und Stellungnahme erhält. Hierzu wird eine gesonderte Bekanntmachung erfolgen.
Die Verarbeitung personenbezogener Daten erfolgt auf der Grundlage von Artikel 6 Absatz 1 Buchstabe e der Datenschutzverordnung (DSGVO) in Verbindung mit § 3 BauGB und dem Landesdatengesetz. Sofern Sie ihre Stellungnahme ohne Absenderangabe abgeben, erhalten Sie keine Mitteilung über das Ergebnis der Prüfung. Weitere Informationen entnehmen Sie bitte dem Informationsblatt „Informationspflichten bei der Erhebung von Daten der betroffenen Person im Rahmen der Öffentlichkeitsbeteiligung nach dem BauGB (Artikel 13 DSGVO)“, das Sie oben auf dieser Internetseite „Bebauungspläne im Verfahren“ zum Download finden.
Unterlagen zu Download (PDF)
Übersichtsplan Bebauungsplan 24.08.00 und 126. Flächennutzungsplanänderung
Entwurf des Bebauungsplans 24.08.00 (Planoriginal)
Teil A: Planzeichnung des Bebauungsplanentwurfes 24.08.00 mit Planzeichenerklärung (A3/A4-Druckfassung)
Teil B: Textliche Festsetzungen des Bebauungsplanentwurfes 24.08.00 (A4-Druckfassung)
Begründung zum Bebauungsplanentwurf 24.08.00 (A3/A4-Druckfassung)
Städtebaulicher Entwurf (Planoriginal)
Ausschnitt aus dem wirksamen Flächennutzungsplan im Bereich Friedhofsallee und 126. Änderung des Flächennutzungsplanes (A4-Druckfassung)
Begründung zur 126. Änderung des Flächennutzungsplanes (A4-Druckfassung)
Fachgutachten und Umweltbezogene Informationen
Historische Erkundung (Phase 1), Stadtgärtnerei / Friedhofsallee 61-83, 13.10.2016
Orientierende Untersuchungen Stadtgärtnerei / Friedhofsallee 61-83, 16.02.2017
Orientierende Untersuchungen Kleingartenanlage Flintenbreite, 07.02.2018
Orientierende Untersuchung Kleingartenanlage Flintenbreite, 20.10.2023
Erstbewertung Friedhofsallee 57, 20.10.2023
Erstbewertung Friedhofsallee 59a, 20.10.2023
Orientierende Untersuchung Altstandort Friedhofsallee 59a, 22.11.2024
Versickerungsgutachten, 25.01.2023
Kampfmitteluntersuchung, 17.04.2024
Energiekonzept, 27.02.2025
Mobilitäts- und Verkehrskonzept, 13.02.2025
Wasserwirtschaftlicher Begleitplan - Bericht, 24.02.2025
Wasserwirtschaftlicher Begleitplan – Plan, 09.10.2023
Floristische und faunistische Datenplausibilisierung, 17.01.2024
CEF-Maßnahmen für Waldohreulen und Fledermäuse, 18.02.2025
Landschaftspflegerischer Fachbeitrag, 05.09.2022
Bestandsplan Biotop- und Nutzungstypen, 09.06.2023
Entlassung aus Landschaftsschutzgebiet, 01.2024
Stellungnahmen Bereichsbeteiligung, 2016
Sonstige Quellen umweltbezogener Informationen
Gesamtlandschaftsplan der Hansestadt Lübeck (beschlossen am 04.03.2008)
Bebauungsplan 21.01.00 – Oberbüssauer Weg / Neue Mitte Moisling
Der Bauausschuss der Hansestadt Lübeck hat am 16.06.2025 die Veröffentlichung des Entwurfs des Bebauungsplans 21.01.00 – Oberbüssauer Weg / Neue Mitte Moisling – und der zugehörigen Begründung gemäß § 3 Abs. 2 BauGB beschlossen.
Der Bebauungsplan wird gemäß § 13a BauGB im beschleunigten Verfahren ohne Durchführung einer Umweltprüfung gemäß § 2 Abs. 4 BauGB aufgestellt.
Der geltende Flächennutzungsplan der Hansestadt Lübeck wird nach Abschluss des Bebauungsplanverfahrens gemäß § 13a Abs. 2 Nr. 2 BauGB im Wege der Berichtigung angepasst.
Der Geltungsbereich des aufzustellenden Bebauungsplanes liegt im Stadtteil Moisling, Stadtbezirk Alt-Moisling/ Genin und umfasst das zukünftige Zentrum die Neue Mitte des Stadtteiles Moisling östlich des Oberbüssauer Weges, südlich der Niendorfer Straße bis zur im Süden verlaufenden Bahnstrecke Lübeck Hamburg.
Allgemeine Ziele und Zwecke der Planung
Die Hansestadt Lübeck strebt im Rahmen des Städtebauförderungsprogramms „Sozialer Zusammenhalt“, ehemals „Soziale Stadt“, eine städtebauliche und funktionale Neuordnung des Stadtteils Moisling an. Die „Neue Mitte“ ist im Stadtteil Moisling ein wesentlicher Baustein des Städtebauförderungsprogramms „Sozialer Zusammenhalt“, an dem sich die Hansestadt Lübeck im Rahmen des Programms „Soziale Stadt“ seit 2012 mit der Gesamtmaßnahme Moisling beteiligt. Für den laufenden Stadtteilentwicklungsprozess ist die Neuordnung der „Neuen Mitte“ rund um den geplanten Moislinger Markt und der direkten Anbindung an den Bahnhaltepunkt Moisling, das Schlüsselprojekt für die zukünftigen Entwicklungen.
Die „Neue Mitte Moisling“ ist als attraktives und identitätsstiftendes Stadtteilzentrum geplant. Zur Stärkung als Nahversorgungszentrum sollen Einrichtungen der sozialen Infrastruktur und Angebote für private und öffentliche Dienstleistungen sowie attraktive und zeitgemäße Wohnungen sowohl im sanierten Altbestand als auch im Neubau geschaffen werden. Zusammen mit der Revitalisierung und Realisierung der (neuen) Grün-, Frei- und Aufenthaltsbereiche werden die geplanten Maßnahmen die Lebens- und Aufenthaltsqualität für den gesamten Stadtteil deutlich verbessern.
Mit der Aufstellung des Bebauungsplans sollen die planungsrechtlichen Voraussetzungen für die Entwicklung und Umsetzung der geplanten Maßnahmen der Neuen Mitte Moisling (NMM) als Nahversorgungszentrum mit sozialen und öffentlichen Infrastruktureinrichtungen und Dienstleistungen sowie neuen nachfragegerechten Geschosswohnungen mit ergänzenden Frei- und Platzflächen geschaffen werden.
Das ca. 5,4 ha große Plangebiet wird
- im Norden durch das Grundstück Hasselbreite 3 und den Grünzug „Auf der Kuppe“;
- im Osten durch die Moislinger Mühlenweg-Grundschule und die Straße „Kiwittredder“;
- im Westen durch die Straße „Oberbüssauer Weg“;
- sowie im Süden durch den parallel zur Bahnlinie Lübeck-Hamburg verlaufende Wilhelm-Waterstrat-Weg mit dem angrenzenden Bahnhaltepunkt und weiter nördlich der Moislinger Mühlenweg begrenzt.
Die detaillierte Abgrenzung des Geltungsbereichs zeigt der Übersichtsplan.

Übersichtsplan o.M.
Die Veröffentlichung des Planentwurfs erfolgt gemäß § 3 Abs. 2 BauGB auf den Internetseiten der Hansestadt Lübeck mit der Möglichkeit zum Download der Unterlagen unter: https://www.luebeck.de/bebauungsplaene.
Verfügbar sind in dieser Zeit der Entwurf des Bebauungsplans, bestehend aus der Planzeichnung – Teil A – und dem Text – Teil B –, die zugehörige Begründung sowie die wesentlichen vorliegenden umweltbezogenen Informationen und Stellungnahmen.
Zusätzlich werden die Unterlagen zur Einsichtnahme im Bürgerservicebereich des Fachbereichs Planen und Bauen, Mühlendamm 10, 23552 Lübeck zu folgenden Öffnungszeiten ausgelegt:
montags bis mittwochs jeweils 8.00 - 15.00 Uhr, donnerstags 8.00 - 18.00 Uhr und freitags 8.00 - 12.00 Uhr sowie nach vorheriger telefonischer Vereinbarung (zuständige Sachbearbeiterin Tel.: (0451) 122 6126 oder per E-Mail: bebauungsplanung@luebeck.de).
Während der Veröffentlichungsfrist vom 23.06.2025 bis einschließlich 25.07.2025 können alle an der Planung Interessierten die Planunterlagen einsehen sowie Stellungnahmen hierzu vorzugsweise per E-Mail an: bebauungsplanung@luebeck.de sowie in Kopie an das Büro Prokom unter info@prokom-planung.de oder per Post an: Hansestadt Lübeck, Bereich Stadtplanung und Bauordnung, Mühlendamm 12, 23552 Lübeck oder während eines vereinbarten Termins (unter: Tel. (0451) 122 6126) zur Niederschrift abgeben.
Nicht fristgerecht abgegebene Stellungnahmen können bei der Beschlussfassung über den Bebauungsplan unberücksichtigt bleiben, wenn die Hansestadt Lübeck den Inhalt nicht kannte und nicht hätte kennen müssen und deren Inhalt für die Rechtmäßigkeit des Bebauungsplans nicht von Bedeutung ist.
Die Verarbeitung personenbezogener Daten erfolgt auf der Grundlage von Artikel 6 Absatz 1 Buchstabe e der Datenschutzgrundverordnung (DSGVO) in Verbindung mit § 3 BauGB und dem Landesdatengesetz. Sofern Sie ihre Stellungnahme ohne Absenderangabe abgeben, erhalten Sie keine Mitteilung über das Ergebnis der Prüfung. Weitere Informationen entnehmen Sie bitte dem Informationsblatt „Informationspflichten bei der Erhebung von Daten im Rahmen der Öffentlichkeitsbeteiligung nach dem BauGB (Artikel 13 DSGVO)“, das mit ausliegt.
Behördenbeteiligung gemäß § 4 Abs. 2 BauGB
Die Behörden und Träger öffentlicher Belange werden gem. § 4 Abs. 2 BauGB parallel zur Öffentlichkeit beteiligt und um Stellungnahme gebeten.
BP 21.01.00 - Unterlagen zum Download (PDF):
Fachgutachten
- 1.) BBS Umwelt GmbH: Hansestadt Lübeck, BP 21.01.00 Oberbüssauer Weg/Neue Mitte Moisling, Faunistische Potenzialanalyse und Artenschutzprüfung, Stand: 28.02.2025
- 2.) Gesellschaft für Markt- und Absatzforschung mbH: Einzelhandelszentren- und Nahversorgungskonzept Lübeck Teilfortschreibung für den Stadtteil Moisling, Stand: 21.03.2025
- 3.) Gesellschaft für Markt- und Absatzforschung mbH: Auswirkungsanalyse zur geplanten Ansiedlung eines Lebensmittelmarktes am Oberbüssauer Weg, Neue Mitte Moisling, in der Hansestadt Lübeck, Stand: 05.02.2024
- 4.) Ingenieurbüro Höppner: Geotechnische Stellungnahme zu den Boden- und Grundwasserverhältnissen, Neue Mitte Moisling Lübeck, Stand: 10.04.2022
- 5.) Ingenieurbüro Höppner: Geotechnische Stellungnahme zu den Boden- und Grundwasserverhältnissen, Neue Mitte Moisling Lübeck, (Ergänzung für die Flächen östlich der Hasselbreite), Stand: 24.04.2024
- 6.) M+O Immissionsschutz Ingenieurgesellschaft für das Bauwesen mbH: Bebauungsplan 21.01.00 - Oberbüssauer Weg / Neue Mitte Moisling - Hansestadt Lübeck, Schalltechnische Untersuchung, Stand: 24.02.2025
- 7.) PROKOM Stadtplaner und Ingenieure GmbH: BP 21.01.00 - Oberbüssauer Weg / Neue Mitte Moisling Vorprüfung des Einzelfalls nach Anlage 2 BauGB zur Anwendung des beschleunigten Verfahrens nach §13a Abs. 1 Nr. 2 BauGB, Stand: 01.04.2025
- 8.) PROKOM Stadtplaner und Ingenieure GmbH: Hansestadt Lübeck, BP 21.01.00 - Oberbüssauer Weg / Neue Mitte Moisling, Bestand Biotop- und Nutzungstypen, Stand: 01.04.2025
- 9.) PROKOM Stadtplaner und Ingenieure GmbH: Hansestadt Lübeck, BP 21.01.00 - Oberbüssauer Weg / Neue Mitte Moisling, Baumkataster, Stand: 01.04.2025
- 9a.) PROKOM Stadtplaner und Ingenieure GmbH: Hansestadt Lübeck, BP 21.01.00 - Oberbüssauer Weg / Neue Mitte Moisling, Baumkataster Anlage, Stand: 01.04.2025
- 10.) PROKOM Stadtplaner und Ingenieure GmbH: Hansestadt Lübeck, BP 21.01.00 - Oberbüssauer Weg / Neue Mitte Moisling, Wasserwirtschaftlicher Fachbeitrag, Stand: 05.05.2025
- 11.) Wasser- und Verkehrs-Kontor GmbH: Hansestadt Lübeck, BP 21.01.00 „Oberbüssauer Weg / Neue Mitte Moisling“, Verkehrsprognose, Stand: 31.01.2025
- 12.) Wölfel Engineering GmbH: Erschütterungsprognose BP 21.01.00 „Neue Mitte Moisling“, Lübeck, Untersuchung der Erschütterungen aus Schienenverkehr, Stand: 28.02.2025
- 13.) Zastrow+Zastrow PartGmbH / Clasen∙Werning∙Partner GmbH: Hansestadt Lübeck, Städtebauliche Rahmenplanung „Neue Mitte Moisling“, Gestaltungskonzept Stand: 23.02.2023, (kommunalpolitische Beschlussfassung durch die Bürgerschaft der Hansestadt Lübeck Februar 2023)
Bebauungsplan 29.07.00 – Rehsprung / Farnstieg – und zugehörige 154. Änderung des Flächennutzungsplans
Der Bauausschuss der Hansestadt Lübeck hat in seiner Sitzung am 07.04.2025 die Aufstellung des Bebauungsplans 29.07.00 – Rehsprung / Farnstieg – und der zugehörigen 154. Änderung des Flächennutzungsplans beschlossen.
Das ca. 2,3 ha große Plangebiet liegt im Stadtteil Kücknitz und umfasst überwiegend die Fläche des ehemaligen Sportplatzes zwischen Farnstieg und Roggenstieg. Begrenzt wird das Plangebiet
- im Norden durch Wohnbaugrundstücke der Straßen Roggenstieg, Rehsprung und Farnstieg,
- im Osten durch die Verlängerung der Straße Farnstieg, einen öffentlichen Spielplatz sowie Flächen des Kleingartenvereins Kücknitz e.V. Anlage „Glück Auf“,
- im Süden ebenfalls durch Flächen des Kleingartenvereins,
- im Westen durch die Wohnbaugrundstücke der Straßen Lupinenweg und Josephstraße.
Die detaillierte Abgrenzung der Bauleitpläne entnehmen Sie bitte dem beigefügten Übersichtsplan (siehe Unterlagen zum Download).
Ziel des Bebauungsplanes ist, die planungsrechtlichen Voraussetzungen für die Erschließung und Erweiterung des auf der nördlichen Teilfläche bereits teilrealisierten Neubaugebietes zu schaffen. Zusätzlich zu den bereits gebauten 69 Wohneinheiten sind weitere 56 Wohneinheiten geplant, davon 14 in Reihenhausbauweise. Der Anteil an öffentlich geförderten Wohnungen wird insgesamt über 50 % betragen.
Frühzeitige Beteiligung der Öffentlichkeit gemäß § 3 Abs. 1 Baugesetzbuch (BauGB)
Der Öffentlichkeit wird in der Zeit vom 14.04.2025 bis einschließlich 04.05.2025 Gelegenheit zur Information über Ziel, Zweck und voraussichtliche Auswirkungen der Planung sowie zur Erörterung und Stellungnahme gegeben.
Während dieser Frist können alle an der Planung Interessierten die Planunterlagen einsehen und sich vorzugsweise per E-Mail (bebauungsplanung@luebeck.de), per Post (Hansestadt Lübeck, Bereich Stadtplanung und Bauordnung, Mühlendamm 12, 23552 Lübeck) oder während eines vereinbarten Termins hierzu äußern.
Die Unterlagen können über die untenstehenden Links abgerufen werden.
Zusätzlich können die Unterlagen im Bürgerservicebereich des Fachbereichs Planen und Bauen, Mühlendamm 10, 23552 Lübeck zu folgenden Öffnungszeiten eingesehen werden:
montags bis mittwochs jeweils 8.00 - 15.00 Uhr, donnerstags 8.00 - 18.00 Uhr und freitags 8.00 - 12.00 Uhr sowie nach vorheriger telefonischer Vereinbarung - Tel.: (0451) 122 6118 (oder per E-Mail an: bebauungsplanung@luebeck.de).
Die frühzeitige Öffentlichkeitsbeteiligung ist zugleich die Beteiligung der Kinder und Jugendlichen an der Planung gemäß § 47 f der Gemeindeordnung für Schleswig-Holstein (GO).
Im weiteren Verfahren ist eine Öffentlichkeitsbeteiligung gemäß § 3 Abs. 2 BauGB vorgesehen, bei der die Öffentlichkeit erneut Gelegenheit zur Erörterung und Stellungnahme erhält. Hierzu wird eine gesonderte Bekanntmachung erfolgen.
Die Verarbeitung personenbezogener Daten erfolgt auf der Grundlage von Artikel 6 Absatz 1 Buchstabe e der Datenschutzgrundverordnung (DSGVO) in Verbindung mit § 3 BauGB und dem Landesdatengesetz. Sofern Sie ihre Stellungnahme ohne Absenderangabe abgeben, erhalten Sie keine Mitteilung über das Ergebnis der Prüfung. Weitere Informationen entnehmen Sie bitte dem Informationsblatt „Informationspflichten bei der Erhebung von Daten im Rahmen der Öffentlichkeitsbeteiligung nach dem BauGB (Artikel 13 DSGVO)“, das mit ausliegt.
Unterlagen zum Download:
Bebauungsplan 17.60.00 – Kronsforder Landstraße / Karkbrede
Der Bauausschuss der Hansestadt Lübeck hat in seiner Sitzung am 19.06.2023 die Aufstellung des Bebauungsplans 17.60.00 – Kronsforder Landstraße / Karkbrede – beschlossen.
Das Plangebiet liegt im Stadtteil St. Jürgen, Stadtbezirk Schiereichenkoppel. Es umfasst das überwiegend gewerblich genutzte Grundstück Kronsforder Landstraße 177 einschließlich zugehörigem Grünland im Südosten sowie die Kronsforder Landstraße und die Karkbrede jeweils bis zur Straßenmitte.
Begrenzt wird das ca. 2,7 ha große Plangebiet im Nordwesten durch die Kronsforder Land-straße, im Nordosten durch das Wohngebiet an der Schiereichenkoppel, im Südosten und Südwesten durch landwirtschaftlich genutzte Flächen bzw. durch die Straße Karkbrede.
Die detaillierte Abgrenzung des Geltungsbereichs zeigt der Übersichtsplan (siehe unten, Dateien zum Download).
Mit der Aufstellung des Bebauungsplans sollen die planungsrechtlichen Voraussetzungen für die Erweiterung eines Gewerbebetriebs unter Berücksichtigung der Immissionsschutzanforderungen benachbarter Wohnnutzungen geschaffen werden.
Frühzeitige Beteiligung der Öffentlichkeit gemäß § 3 Abs. 1 BauGB
Der Öffentlichkeit wird gemäß § 3 Abs. 1 BauGB in der Zeit vom 20.01.2025 bis einschließlich 03.02.2025 Gelegenheit zur Information über die Ziele, Zwecke und voraussichtlichen Auswirkungen der Planung sowie zur Äußerung und Erörterung gegeben:
Während dieser Frist können alle an der Planung Interessierten die Planunterlagen einsehen und sich vorzugsweise per E-Mail (bebauungsplanung@luebeck.de), per Post (Hansestadt Lübeck, Bereich Stadtplanung und Bauordnung, Mühlendamm 12, 23552 Lübeck) oder während eines vereinbarten Termins hierzu äußern.
Die Unterlagen können über die unten stehenden Links abgerufen werden.
Zusätzlich können die Unterlagen im Bürgerservicebereich des Fachbereichs Planen und Bauen, Mühlendamm 10, 23552 Lübeck zu folgenden Öffnungszeiten eingesehen werden:
montags bis mittwochs jeweils 8.00 - 15.00 Uhr, donnerstags 8.00 - 18.00 Uhr und freitags 8.00 - 12.00 Uhr sowie nach vorheriger telefonischer Vereinbarung - Tel.: 0451-122 6134 (oder per E-Mail an: bebauungsplanung@luebeck.de).
Die frühzeitige Öffentlichkeitsbeteiligung ist zugleich die Beteiligung der Kinder und Jugendlichen an der Planung gemäß § 47 f der Gemeindeordnung für Schleswig-Holstein (GO).
Im weiteren Verfahren ist eine Öffentlichkeitsbeteiligung gemäß § 3 Abs. 2 BauGB vorgesehen, bei der die Öffentlichkeit erneut Gelegenheit zur Erörterung und Stellungnahme erhält. Hierzu wird eine gesonderte Bekanntmachung erfolgen.
Die Verarbeitung personenbezogener Daten erfolgt auf der Grundlage von Artikel 6 Absatz 1 Buchstabe e der Datenschutzgrundverordnung (DSGVO) in Verbindung mit § 3 BauGB und dem Landesdatengesetz. Sofern Sie ihre Stellungnahme ohne Absenderangabe abgeben, erhalten Sie keine Mitteilung über das Ergebnis der Prüfung. Weitere Informationen entnehmen Sie bitte dem Informationsblatt „Informationspflichten bei der Erhebung von Daten im Rahmen der Öffentlichkeitsbeteiligung nach dem BauGB (Artikel 13 DSGVO)“, das mit ausliegt.
Unterlagen zum Download (PDF)
Bebauungsplan 01.70.00 – Wallhalbinsel / Holstentorplatz
Der Bauausschuss der Hansestadt Lübeck hat am 01.07.2024 die Veröffentlichung des Entwurfs des Bebauungsplans 01.70.00 – Wallhalbinsel / Holstentorplatz – und der zugehörigen Begründung gemäß § 3 Abs. 2 BauGB beschlossen. Der Bebauungsplan wird gemäß § 13a BauGB im beschleunigten Verfahren ohne Durchführung einer Umweltprüfung gemäß § 2 Abs. 4 BauGB aufgestellt.
Der geltende Flächennutzungsplan der Hansestadt Lübeck wird nach Abschluss des Bebauungsplanverfahrens gemäß § 13a Abs. 2 Nr. 2 BauGB im Wege der Berichtigung angepasst.
Der räumliche Geltungsbereich liegt im Stadtteil Innere Stadt. Begrenzt wird das ca. 1,27 ha große Plangebiet
- im Norden durch eine Hotelliegenschaft,
- im Osten durch die Trave,
- im Süden durch den Holstentorplatz sowie
- im Westen durch die Willy-Brandt-Allee.
Die detaillierte Abgrenzung des Geltungsbereichs des Bebauungsplans zeigt der Übersichtsplan (siehe unten, Unterlagen zum Download).
Mit der Aufstellung des Bebauungsplans 01.70.00 – Wallhalbinsel / Holstentorplatz – sollen die planungsrechtlichen Voraussetzungen für die Entwicklung eines sonstigen Sondergebietes (SO) mit der Zweckbestimmung „öffentliche Verwaltung, Anlagen für kulturelle Zwecke, Hochschulnutzungen“ gem. § 11 Abs. 2 S. 1 Baunutzungsverordnung (BauNVO) geschaffen werden.
Der geltende Flächennutzungsplan der Hansestadt Lübeck wird nach Abschluss des Bebauungsplanverfahrens gemäß § 13a Abs. 2 Nr. 2 BauGB im Wege der Berichtigung angepasst.
Beteiligung der Öffentlichkeit gemäß § 3 Abs. 2 BauGB
Die Veröffentlichung des Planentwurfs gemäß § 3 Abs. 2 BauGB erfolgt vom 05.08.2024 bis einschließlich 09.09.2024 auf den Internetseiten der Hansestadt Lübeck mit der Möglichkeit zum Download der Unterlagen. Folgende Unterlagen stehen zur Verfügung: Der Entwurf des Bebauungsplans, bestehend aus der Planzeichnung – Teil A – und dem Text – Teil B –, die zugehörige Begründung sowie die wesentlichen bereits vorliegenden umweltbezogenen Informationen und Stellungnahmen.
Zusätzlich werden die Unterlagen zur Einsichtnahme im Foyer des Fachbereichs Planen und Bauen, Mühlendamm 12 zu folgenden Öffnungszeiten ausgelegt:
montags bis mittwochs jeweils 8.00 - 15.00 Uhr, donnerstags 8.00 - 18.00 Uhr und freitags 8.00 - 12.00 Uhr sowie nach vorheriger telefonischer Vereinbarung (zuständige Sachbearbeiterin Tel.: (0451) 122 6158 oder per E-Mail: bebauungsplanung@luebeck.de).
Während der Veröffentlichungsfrist können alle an der Planung Interessierten die Planunterlagen einsehen sowie Stellungnahmen hierzu vorzugsweise per E-Mail (bebauungsplanung@luebeck.de), schriftlich (Hansestadt Lübeck, Bereich Stadtplanung und Bauordnung, Mühlendamm 12, 23552 Lübeck) oder während eines vereinbarten Termins (Tel.: (0451) 122 6158) zur Niederschrift abgeben.
Nicht fristgerecht abgegebene Stellungnahmen können bei der Beschlussfassung über den Bebauungsplan unberücksichtigt bleiben, wenn die Hansestadt Lübeck den Inhalt nicht kannte und nicht hätte kennen müssen und deren Inhalt für die Rechtmäßigkeit des Bauleitplans nicht von Bedeutung ist.
Die Verarbeitung personenbezogener Daten erfolgt auf der Grundlage von Artikel 6 Absatz 1 Buchstabe e der Datenschutzverordnung (DSGVO) in Verbindung mit § 3 BauGB und dem Landesdatengesetz. Sofern Sie ihre Stellungnahme ohne Absenderangabe abgeben, erhalten Sie keine Mitteilung über das Ergebnis der Prüfung. Weitere Informationen entnehmen Sie bitte dem Informationsblatt „Informationspflichten bei der Erhebung von Daten der betroffenen Person im Rahmen der Öffentlichkeitsbeteiligung nach dem BauGB (Artikel 13 DSGVO)“, das Sie auf dieser Internetseite „Bebauungspläne im Verfahren“ zum Download finden.
Behördenbeteiligung gemäß § 4 Abs. 2 BauGB
Die Behörden und Träger öffentlicher Belange werden parallel zur Beteiligung der Öffentlichkeit beteiligt und um Stellungnahme gebeten.
Unterlagen zum Download (PDF)
Planunterlagen
Bebauungsplan 22.06.00 – Moislinger Allee / Pinassenweg
Der Bauausschuss der Hansestadt Lübeck hat in seiner Sitzung am 15.02.2021 die Aufstellung des Bebauungsplans 22.06.00 – Moislinger Allee / Pinassenweg – im beschleunigten Verfahren nach § 13a BauGB und die Durchführung einer frühzeitigen Öffentlichkeitsbeteiligung beschlossen. Von der Umweltprüfung nach § 2 Abs. 4 BauGB wird gemäß § 13a Abs. 2 Nr.1 abgesehen.
Das 4,1 ha große Plangebiet des Bebauungsplans 22.06.00 – Moislinger Allee / Pinassenweg – liegt im Stadtteil Buntekuh und wird begrenzt
- südlich durch die Moislinger Allee,
- westlich durch den Pinassenweg,
- nordöstlich durch den Stadtteilpark Wiesental und
- östlich durch einen Grünstreifen und die Bebauung westlich des Schaluppenwegs.
Die detaillierte Abgrenzung entnehmen Sie bitte dem beigefügten Übersichtsplan (siehe Unterlagen zum Download).
Mit der Aufstellung des Bebauungsplans sollen für die Entwicklung eines Wohnquartiers in Form von Mehrfamilienhäusern sowie einer Kindertagesstätte auf einer innerstädtischen Brachfläche geschaffen werden.
Frühzeitige Beteiligung der Öffentlichkeit gemäß § 3 Abs. 1 Baugesetzbuch (BauGB)
Der Öffentlichkeit wird in der Zeit vom 05.02.2024 bis einschließlich 23.02.2024 über folgende Beteiligungen Gelegenheit zur Information über Ziel, Zweck und Auswirkung der Planung sowie zur Erörterung und Stellungnahme gegeben:
- Internetseiten der Hansestadt Lübeck mit der Möglichkeit zum Download der Unterlagen (siehe unten)
- Aushang im Foyer des Fachbereichs Planen und Bauen, Mühlendamm 12, 23552 Lübeck zu folgenden Öffnungszeiten: montags bis mittwochs jeweils 8.00 - 15.00 Uhr, donnerstags 8.00 - 18.00 Uhr und freitags 8.00 - 12.00 Uhr sowie nach vorheriger telefonischer Vereinbarung – zuständige Sachbearbeiterin Tel.: (0451) 122 6118 oder per E-Mail: bebauungsplanung@luebeck.de.
Die frühzeitige Öffentlichkeitsbeteiligung ist gleichzeitig die Beteiligung der Kinder und Jugendlichen an der Planung gemäß § 47 f der Gemeindeordnung für Schleswig-Holstein (GO).
Im weiteren Verfahren ist eine öffentliche Auslegung gemäß § 3 Abs. 2 BauGB vorgesehen. Die Öffentlichkeit erhält dann erneut die Gelegenheit zur Erörterung und Stellungnahme. Hierzu wird eine gesonderte Bekanntmachung erfolgen.
Ihre Stellungnahme
Sofern Sie Anregungen, Bedenken oder Hinweise zu der vorliegenden Planung vorbringen möchten, bestehen während o. g. Frist folgende Möglichkeiten zur Abgabe einer Stellungnahme:
- per E-Mail an: bebauungsplanung@luebeck.de (bitte geben Sie dabei Ihre vollständige Anschrift an),
- per Brief an: Hansestadt Lübeck, Bereich Stadtplanung und Bauordnung, Mühlendamm 12, 23552 Lübeck
- oder mündlich zur Niederschrift im i-Punkt der Bauverwaltung, Mühlendamm 12, 23552 Lübeck (nach vorheriger Terminabsprache mit der Sachbearbeiterin, siehe vorangehend)
Bitte nutzen Sie bevorzugt die Möglichkeit der Übermittlung Ihrer Stellungnahme per E-Mail, die uns die Erfassung und Auswertung erheblich erleichtert. Im Voraus vielen Dank dafür.
Die Verarbeitung personenbezogener Daten erfolgt auf der Grundlage von Artikel 6 Absatz 1 Buchstabe e der Datenschutzgrundverordnung (DSGVO) in Verbindung mit § 3 BauGB und dem Landesdatengesetz. Sofern Sie ihre Stellungnahme ohne Absenderangabe abgeben, erhalten Sie keine Mitteilung über das Ergebnis der Prüfung. Weitere Informationen entnehmen Sie bitte dem Informationsblatt „Informationspflichten bei der Erhebung von Daten im Rahmen der Öffentlichkeitsbeteiligung nach dem BauGB (Artikel 13 DSGVO)“, das mit ausliegt.
Lübeck, 01.02.2024
Unterlagen zum Download:
Gutachten:
Bebauungsplan 26.09.00 – Palinger Weg / Lauer Weg
Der Bauausschuss der Hansestadt Lübeck hat am 06.03.2023 beschlossen, dass für das nachfolgend dargestellte Gebiet der Bebauungsplan 26.09.00 – Palinger Weg / Lauer Weg – als Bebauungsplan der Innenentwicklung im beschleunigten Verfahren nach § 13 a BauGB aufgestellt wird. Eine Umweltprüfung gemäß § 2 Abs. 4 BauGB wird nicht durchgeführt.
Das Plangebiet des aufzustellenden Bebauungsplanes liegt im Stadtteil Schlutup, Stadtbezirk Schlutup. Es umfasst ehemalige Betriebsflächen östlich des Palinger Weges.
Begrenzt wird das ca. 1,4 ha große Plangebiet durch:
- den Palinger Weg im Westen,
- den Lauer Weg und Tannenschlag im Osten,
- die Mecklenburger Straße im Norden und
- die Grundstücke des Palinger Weges Nr. 7 sowie die Grundstücke Tannenschlag Nr. 2, 2a, 4 und 6.
Die detaillierte Abgrenzung des Geltungsbereichs entnehmen Sie bitte dem beigefügten Übersichtsplan (siehe unten, Unterlagen zum Download).
Mit der Aufstellung des Bebauungsplans sollen die planungsrechtlichen Voraussetzungen für die Errichtung von Wohngebäuden geschaffen werden.
Frühzeitige Beteiligung der Öffentlichkeit gemäß § 3 Abs. 1 Baugesetzbuch (BauGB)
Die Ziele und Zwecke der Planung und ihre voraussichtlichen Auswirkungen werden in einer
Öffentlichen Veranstaltung am 27.09.2023 um 18.00 Uhr
in der Aula der Willy-Brandt-Schule, Beim Meilenstein 2, 23568 Lübeck, vorgestellt. Der Öffentlichkeit wird hierbei Gelegenheit zur Äußerung und Erörterung gegeben.
Zudem wird der Öffentlichkeit in der Zeit vom 25.09.2023 bis einschließlich 11.10.2023 über folgende Beteiligungen Gelegenheit zur Information über Ziel, Zweck und Auswirkung der Planung sowie zur Erörterung und Stellungnahme gegeben:
- Internetseiten der Hansestadt Lübeck mit der Möglichkeit zum Download der Unterlagen unter (siehe untenstehende Downloads)
- Aushang im Foyer des Fachbereichs Planen und Bauen, Mühlendamm 12, 23552 Lübeck zu folgenden Öffnungszeiten: montags bis mittwochs jeweils 8.00 - 15.00 Uhr, donnerstags 8.00 - 18.00 Uhr und freitags 8.00 - 12.00 Uhr sowie nach vorheriger telefonischer Vereinbarung – zuständige Sachbearbeiterin Tel.: 0451-122 6158 oder per E-Mail: bebauungsplanung@luebeck.de.
Die frühzeitige Öffentlichkeitsbeteiligung ist gleichzeitig die Beteiligung der Kinder und Jugendlichen an der Planung gemäß § 47 f der Gemeindeordnung für Schleswig-Holstein (GO).
Ihre Stellungnahme
Sofern Sie Anregungen, Bedenken oder Hinweise zu der vorliegenden Planung vorbringen möchten, bestehen während o. g. Frist folgende Möglichkeiten zur Abgabe einer Stellungnahme:
- per E-Mail an: bebauungsplanung@luebeck.de (bitte geben Sie dabei Ihre vollständige Adresse an),
- per Brief an: Hansestadt Lübeck, Bereich Stadtplanung und Bauordnung, Mühlendamm 12, 23552 Lübeck
- oder mündlich zur Niederschrift im i-Punkt der Bauverwaltung, Mühlendamm 12, 23552 Lübeck (bitte gerne nach vorheriger Terminabsprache mit der Sachbearbeiterin, siehe unten)
Bitte nutzen Sie bevorzugt die Möglichkeit der Übermittlung Ihrer Stellungnahme per E-Mail, die uns die Erfassung und Auswertung erheblich erleichtert. Im Voraus vielen Dank dafür.
Die Verarbeitung personenbezogener Daten erfolgt auf der Grundlage von Artikel 6 Absatz 1 Buchstabe e der Datenschutzverordnung (DSGVO) in Verbindung mit § 3 BauGB und dem Landesdatengesetz. Sofern Sie ihre Stellungnahme ohne Absenderabgabe abgeben, erhalten Sie keine Mitteilung über das Ergebnis der Prüfung. Weitere Informationen entnehmen Sie bitte dem Informationsblatt „Informationspflichten bei der Erhebung von Daten im Rahmen der Öffentlichkeitsbeteiligung nach dem BauGB (Artikel 13 DSGVO)“, das mit ausliegt.
Ansprechpartner:in: Bei Rückfragen wenden Sie sich bitte an die Sachbearbeiterin Tel.: (0451) 122-6158 oder schreiben Sie eine E-Mail an: bebauungsplanung@luebeck.de
Unterlagen zum Download:
Bebauungsplan 04.39.00 – Bei der Lohmühle / Grünzug
Das Plangebiet des aufzustellenden Bebauungsplans 04.39.00 – Bei der Lohmühle / Grünzug – liegt im Stadtteil St. Lorenz Nord, Stadtbezirk Holstentor Nord.
Begrenzt wird das ca. 8,0 ha große Plangebiet
- im Norden durch das Schulgelände der Schulen an der Georg-Kerschensteiner-Straße und die Wohnbebauung an der Schwartauer Allee 139, 139 b-c,
- im Osten durch die Schwartauer Allee,
- im Süden durch die Straße Bei der Lohmühle sowie
- im Westen durch die Straße An der Hansehalle.
Die detaillierte Abgrenzung entnehmen Sie bitte dem beigefügten Übersichtsplan. (Downloads weiter unten)
Anlass für die Aufstellung des Bebauungsplanes ist die städtebauliche Neuordnung des Areals. Planerisches Ziel ist es, durch eine Neubebauung der Flächen mit Wohn- und Gewerbebauten einen städtebaulichen Übergang zwischen den Gewerbe- und Dienstleistungsnutzungen im Süden und der Wohnbebauung im Nordosten zu schaffen. Es soll dem Bedarf nach Wohnungen im Geschosswohnungsbau entsprochen und zudem die vorhandenen Grünflächen im nördlichen Teil des Bebauungsplans zu einer breiteren Grünverbindung mit Aufenthaltsqualität entwickelt werden.
Frühzeitige Beteiligung der Öffentlichkeit gemäß § 3 Abs. 1 Baugesetzbuch (BauGB)
Die Ziele und Zwecke der Planung und ihre voraussichtlichen Auswirkungen werden in einer
Öffentlichen Veranstaltung am 29.08.2023 um 18:00 Uhr
im Hotel Viva, Bei der Lohmühle 25, 23554 Lübeck vorgestellt. Der Öffentlichkeit wird hierbei Gelegenheit zur Äußerung und Erörterung gegeben.
Zudem wird der Öffentlichkeit in der Zeit vom 06.08.2023 bis einschließlich 04.09.2023 montags bis mittwochs jeweils von 8.00 Uhr bis 15.00 Uhr, donnerstags von 8.00 bis 18.00 Uhr sowie freitags von 8.00 bis 12.00 Uhr im Fachbereich Planen und Bauen der Hansestadt Lübeck, Bereich Stadtplanung und Bauordnung, Mühlendamm 12 – Foyer (Erdgeschoss), durch Aushang der Planunterlagen Gelegenheit zu weiterer Information über Ziel, Zweck und Auswirkung der Planung sowie zur Äußerung und Erörterung gegeben.
Die Unterlagen können über die unten stehenden Links abgerufen werden.
Die frühzeitige Öffentlichkeitsbeteiligung ist gleichzeitig die Beteiligung der Kinder und Jugendlichen an der Planung gemäß § 47 f der Gemeindeordnung für Schleswig-Holstein (GO).
Ansprechpartner:in: Bei Rückfragen wenden Sie sich bitte an die Sachbearbeiterin Tel.: (0451) 122 6136 oder schreiben Sie eine E-Mail an: bebauungsplanung@luebeck.de
Unterlagen zum Download (PDF):
Die Hansestadt Lübeck weist darauf hin, dass sie für das Baugebiet keine Interessentenliste führt.
Bebauungsplan 26.13.00 – Schlutup / Lauer Weg
Der Bauausschuss der Hansestadt Lübeck hat am 20.06.2022 beschlossen, dass für das nachfolgend dargestellte Gebiet der Bebauungsplan 26.13.00 – Schlutup / Lauer Weg – als Bebauungsplan der Innenentwicklung im beschleunigten Verfahren nach § 13a BauGB aufgestellt wird. Eine Umweltprüfung gemäß § 2 Abs. 4 BauGB wird nicht durchgeführt.
Dieser Beschluss wird hiermit bekannt gemacht.
Der Geltungsbereich des Bebauungsplans 26.13.00 Schlutup / Lauer Weg liegt im Stadtteil Schlutup. Begrenzt wird das ca. 0,8 ha (8.270 m²) große Plangebiet:
- im Norden durch die Grundstücke Lauer Weg 22 und 25a sowie Selmsdorfer Weg 2,
- im Osten durch die Bebauung Lauer Weg 27 – 41,
- im Süden durch die Grundstücke Lauer Weg 36 und 43 sowie
- im Westen durch die Bebauung Lauer Weg 24 bis 34.
Die detaillierte Abgrenzung entnehmen Sie bitte dem beigefügten Übersichtsplan.
Anlass für die Aufstellung des Bebauungsplanes ist die vorgesehene Nachverdichtung der Wohnbaugrundstücke Lauer Weg 27 bis 41 sowie 24 bis 34.
Frühzeitige Beteiligung der Öffentlichkeit gemäß § 3 Abs. 1 Baugesetzbuch (BauGB)
Der Öffentlichkeit wird in der Zeit vom 01.03.2023 bis einschließlich 15.03.2023 montags bis mittwochs jeweils von 8.00 Uhr bis 15.00 Uhr, donnerstags von 8.00 bis 18.00 Uhr sowie freitags von 8.00 bis 12.00 Uhr im Fachbereich Planen und Bauen der Hansestadt Lübeck, Bereich Stadtplanung und Bauordnung, Mühlendamm 12 – Foyer (Erdgeschoss), durch Aushang der Planunterlagen Gelegenheit zu weiterer Information über Ziel, Zweck und Auswirkung der Planung sowie zur Erörterung und Stellungnahme gegeben.
Zusätzlich werden die Ziele und Zwecke der Planung und ihre voraussichtlichen Auswirkungen in einer öffentlichen Veranstaltung am 08.03.2023 um 18.00 Uhr in der Willy-Brandt-Schule, Beim Meilenstein 2, 23568 Lübeck vorgestellt.
Die Unterlagen können über die untenstehenden Links abgerufen werden.
Die frühzeitige Öffentlichkeitsbeteiligung ist gleichzeitig die Beteiligung der Kinder und Jugendlichen an der Planung gemäß § 47 f der Gemeindeordnung für Schleswig-Holstein (GO).
Ansprechpartner:in: Bei Rückfragen wenden Sie sich bitte an die Sachbearbeiterin Tel.: (0451) 122 6138 oder schreiben Sie eine E-Mail an: bebauungsplanung@luebeck.de
Unterlagen zum Download (PDF):
Luftbild Maßstab 1:5000
Luftbild Maßstab 1:1000
Katasterplan
Städtebaulicher Entwurf Variante A
Städtebaulicher Entwurf Variante C
Projektbeschreibung
Planauszug Schmutzwasserkanäle
Bebauungsplan 26.05.00 – Ehemaliger Bahnhof Schlutup / Konradstraße
Das Plangebiet des aufzustellenden Bebauungsplans 26.05.00 – Ehemaliger Bahnhof Schlutup / Konradstraße - liegt im Stadtteil Schlutup.
Begrenzt wird das ca. 2 ha große Plangebiet
- im Nordwesten durch das Wohngebiet südlich der Wesloer Straße zwischen Ottostraße und Am Dovensee,
- im Nordosten durch die Straße Am Dovensee,
- im Südosten durch die Gleisanlage der Lübecker Hafenbahn sowie
- im Südwesten durch die Ottostraße.
Die detaillierte Abgrenzung entnehmen Sie bitte dem beigefügten Übersichtsplan.
Durch den Bebauungsplan sollen im Wesentlichen die planungsrechtlichen Voraussetzungen für die Entwicklung eines Wohngebiets auf ehemaligen Bahnflächen in Schlutup geschaffen werden.
Frühzeitige Beteiligung der Öffentlichkeit gemäß § 3 Abs. 1 Baugesetzbuch (BauGB)
Der Öffentlichkeit wird in der Zeit vom 29.11.2021 bis einschließlich 13.12.2021 montags bis mittwochs jeweils 8.00 - 15.00 Uhr, donnerstags 8.00 - 18.00 Uhr und freitags 8.00 - 12.00 Uhr im Fachbereich Planen und Bauen der Hansestadt Lübeck, Bereich Stadtplanung und Bauordnung, Mühlendamm 12 – i-Punkt / Foyer (Erdgeschoss) durch Aushang der Planunterlagen Gelegenheit zur Information über Ziel, Zweck und Auswirkung der Planung sowie zur Erörterung und Stellungnahme gegeben.
Die Planunterlagen können auch über die unten stehenden Links abgerufen werden.
Die frühzeitige Öffentlichkeitsbeteiligung ist gleichzeitig die Beteiligung der Kinder und Jugendlichen an der Planung gemäß § 47 f der Gemeindeordnung für Schleswig-Holstein (GO).
Ansprechpartner: Bei Rückfragen wenden Sie sich bitte an die Sachbearbeiterin Tel.: (0451) 122-6114 oder schreiben Sie eine E-Mail an: bebauungsplanung@luebeck.de
Unterlagen zu Download:
Übersichtsplan Aufstellungsbeschluss
Städtebauliches Konzept, Stand 09/2021
Städtebauliche Begründung
Vorentwurf des Bebauungsplanes
Bebauungsplan 11.03.00 – Wulfsdorf / Karkfeld
Der Geltungsbereich des Bebauungsplans liegt im Stadtteil St. Jürgen im Dorf Wulfsdorf, angrenzend an den südlichen Ortsrand von Wulfsdorf zwischen dem Wulfsdorfer Weg (Ortseingang) und der Straße Karkfeld.
Begrenzt wird das 2,6 ha große Plangebiet
- im Norden durch die Gartengrundstücke der Wohnbebauung entlang der Straßen Karkfeld, Wulfsdorfer Weg und Krumme Stücke,
- im Osten durch die landwirtschaftliche Fläche,
- im Westen durch den Wulfsdorfer Weg (K8),
- sowie im Süden durch vorhandene Knickstrukturen.
Die detaillierte Abgrenzung entnehmen Sie bitte dem beigefügten Übersichtsplan.
Durch den Bebauungsplan sollen im Wesentlichen die planungsrechtlichen Voraussetzungen für die Entwicklung eines Wohngebiets zur Bebauung mit freistehenden Einzelhäusern und Reihenhäusern geschaffen werden.
Frühzeitige Beteiligung der Öffentlichkeit gemäß § 3 Abs. 1 Baugesetzbuch (BauGB)
Der Öffentlichkeit wird in der Zeit vom 06.12.2021 bis einschließlich 21.12.2021 montags bis mittwochs jeweils von 8.00 Uhr bis 15.00 Uhr, donnerstags von 8.00 bis 18.00 Uhr sowie freitags von 8.00 bis 12.00 Uhr im Fachbereich Planen und Bauen der Hansestadt Lübeck, Bereich Stadtplanung und Bauordnung, Mühlendamm 12 – Foyer (Erdgeschoss), durch Aushang der Planunterlagen Gelegenheit zu weiterer Information über Ziel, Zweck und Auswirkung der Planung sowie zur Äußerung und Erörterung gegeben.
Die Unterlagen können über die unten stehenden Links abgerufen werden.
Die frühzeitige Öffentlichkeitsbeteiligung ist gleichzeitig die Beteiligung der Kinder und Jugendlichen an der Planung gemäß § 47 f der Gemeindeordnung für Schleswig-Holstein (GO).
Ansprechpartner: Bei Rückfragen wenden Sie sich bitte an die Sachbearbeiterin Tel.: (0451) 122-6154 oder schreiben Sie eine E-Mail an: bebauungsplanung@luebeck.de
Unterlagen zum Download (PDF):
Die Hansestadt Lübeck weist darauf hin, dass sie für das Baugebiet keine Interessentenliste führt. Kaufinteressierte wenden sich bitte an die Kontaktdaten unter diesem Link.
Planungsstand Satzungsbeschluss
Hinweis: Die nachfolgend aufgeführten Bebauungspläne sind jeweils als Satzung beschlossen worden; die Verfahren der Öffentlichkeitsbeteiligung sind damit abgeschlossen. Da die Bebauungspläne aber aus verfahrenstechnischen oder verfahrensrechtlichen Gründen noch nicht in Kraft getreten sind (i.d.R. weil die Genehmigung der Änderung des Flächennutzungsplans durch das Land noch nicht erfolgt ist) können die Planunterlagen noch nicht unter rechtskräftige Bebauungspläne eingesehen werden. Bis zum Inkrafttreten der Bebauungspläne wird daher nachfolgend auf die Beschlussvorlagen zum Satzungsbeschluss verwiesen.