ALLRIS - Vorlage

Beschlussvorlage öffentlich - 20/0012

Reduzieren

Beratungsfolge

Reduzieren

Beschlussvorschlag

Der Bürgermeister wird beauftragt, die Unfallhäufungsstellen im Lindenplatz zu entschärfen. Die Haushaltsmittel in Höhe von 620.000,00 EUR werden hierfür freigegeben.

 

Reduzieren

Anlass:

 

Mündl. Anfrage des AM Dr. Axel Flasbarth (Bündnis 90/Die Grünen) im Hauptausschuss am 28.01.2025

 

AM Dr. Flasbarth spricht den Lindenteller an und weist auf die jüngste LN-Berichterstattung dazu hin. Es habe sich herausgestellt, dass der Lindenteller der unfalltechnisch gefährlichste Kreisel Deutschlands sei. Der städtischer Haushalt für das Jahr 2025 beinhaltet finanzielle Mittel zur Überplanung des Lindentellers. AM Dr. Flasbarth möchte wissen, wie der Zeitplan für die Verwendung dieser Mittel für eine Überplanung aussehe und welche Maßnahmen die Stadt bzgl. der Verkehrssituation rund um die Puppenbrücke plane.

 

 

Beschluss der Bürgerschaft am 28.09.2023 (VO/2023/12437-02-01 TOP 5.3)

 

Für die fahrrad- und fußgängerfreundliche Überplanung der Unfallschwerpunkte Lindenteller, Puppenbrücke und Gustav-Radbruch-Platz werden 400.000 € bereitgestellt. Bei der Überplanung ist sicherzustellen, dass Aspekte des Verkehrsflusses aller Verkehrsmittel verträglich sind.

 

 

Seit Jahrzehnten ist der o. a. Kreisverkehr ein Unfallschwerpunkt an allen seinen Zu- und Ausfahrten, vorwiegend in der Konfliktsituation Radfahrende/Pkw, was auch den jährlich herausgegebenen Verkehrssicherheitsberichten der Polizei zu entnehmen ist.

 

Unfallstellenauswertung Hansestadt Lübeck

Lindenplatz 01.01.2022 bis 31.12.2024

  • insgesamt 244 polizeilich registrierte Verkehrsunfälle
    • 120 aufgenommene
    • 124 aufnahmefreie Verkehrsunfälle -> ohne Personenschaden
  • bei 76 Verkehrsunfällen mit Personenschaden wurden
    • 2 Verkehrsteilnehmende schwer
    • 74 Verkehrsteilnehmende leicht verletzt
    • davon verunglückten 39 Radfahrende
  • Häufigste Unfallursachen:
    • 35 x Fehler beim Herausfahren aus dem Verkehrsverteiler (Typ: Abbiegen)
    • 53 x Fehler beim Einfahren in den Verkehrsverteiler (Typ: Einbiegen/Kreuzen)

 

Somit werden durchschnittlich 40 Unfälle/Jahr polizeilich aufgenommen, wovon 17 Unfälle gleichen Typs registriert werden.

 

Abb. 1 Auszug Verkehrsunfall-Lagebild der Polizeidirektion Lübeck

 

Gemäß Merkblatt zur örtlichen Unfalluntersuchung in Unfallkommissionen wird eine Unfallhäufungsstelle (innerorts an Knotenpunkten) deklariert, wenn in einem Jahr 5 Unfälle vom gleichen Typ festgestellt wurden.

 

In Schleswig-Holstein gilt u. a. der Grenzwert für eine Unfallhäufungsstelle, gemäß Ministeriumserlass, von 3 Unfällen gleichen Typs in einem Jahr (oder 6 Unfälle verschiedenen Typs oder 2 Unfälle mit schwerem Personenschaden). Dieser Wert ist am Lindenplatz deutlich überschritten.

 

Im Rahmen der Unfallkommission wird seit Jahren von der Fachaufsicht der Straßenverkehrsbehörde, dem Landesbetrieb für Straßenbau und Verkehr S.-H. dringender Handlungsbedarf angemahnt. Die Fachaufsicht hat nun erklärt, dass sie ein Verbot für Radfahrende für den Lindenplatz anweisen wird, sofern keine rechtskonforme und sichere Umplanung erfolgt und beschlossen würde. Die Fachaufsicht erwartet zeitnah eine verkehrssichere Lösung für diesen Kreisverkehr. Andernfalls würde die Weisung dann schriftlich an den Bürgermeister erfolgen.

 

Abb. 2 Unfälle Lindenplatz in Bezug auf die Kriterien Schleswig -Holstein (3 Jahre)

 

 

Bericht:

 

Es wurde eine Verkehrsuntersuchung in Auftrag gegeben, die vor allem im Hinblick auf die Verkehrssicherheit, Vorschläge zum Umbau des Kreisverkehrsplatzes erarbeiten sollte.

 

Folgende Varianten wurden betrachtet:

1. Bestandsnahe Lösung – kurzfristig/Interim

2 Knotenpunkt mit Lichtsignalanlage – mittelfristig/Komplettumbau

3. Kreisverkehr mit Lichtsignalanlage – mittelfristig/ Komplettumbau

 

 

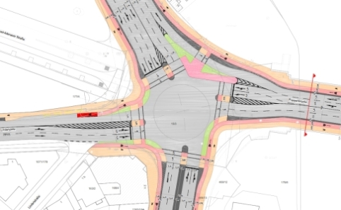
1. Bestandsnahe Lösung – kurzfristig umzusetzen

 

Es wurde zunächst eine verkehrssichere Variante, entsprechend Regelwerk, entwickelt, die relativ zeitnah umzusetzen ist und die Randbedingungen der vorhandenen Geometrie unter Einbeziehung der bereits derzeit vorhandenen Fußverkehrssignalisierungen -/führungen berücksichtigt.

 

Abb. 3 Bestandsnahe Lösung Ausschnitt Lageplan

 

Die Führung des Radverkehrs wird so verändert, dass dieser außerhalb der zweistreifigen Kreisfahrbahn erfolgt.

 

Hierzu ist es notwendig eine Furt auf der Seite zur Puppenbrücke neu anzulegen, um dem Radverkehr, der dann nicht mehr auf der Kreisfahrbahn geführt wird, eine Möglichkeit zur Querung zu schaffen. Diese ist insbesondere wegen des Einrichtungsverkehrs der Radfahrenden zwingend. Daneben kann eine Querungsmöglichkeit für den Fußverkehr geschaffen werden.

 

Der bereits vorhandene Zebrastreifen (Fußgängerüberweg) über die Hansestraße wird regelkonform näher an die Kreisfahrbahn herangerückt und daneben eine Furt für den Radverkehr angelegt. Sollte sich an den vorgenannten neuen Radverkehrsfurten ein Unfallgeschehen, trotz regelkonformer Ausbildung, einstellen, so müssten hier ebenfalls Lichtsignalanlagen installiert werden. Es wird zunächst darauf verzichtet, da insbesondere über die Furt Puppenbrücke kein starker Radverkehr erwartet wird und weitere Lichtsignalanlagen die Leistungsfähigkeit am Kreisverkehr absinken lassen würden.

 

Abb. 4 Bestandsnahe Lösung Ausschnitt Querschnitt Puppenbrücke

 

Vom Holstentor kommend soll der Radverkehr nicht mehr auf der Fahrbahn geführt werden. Auf Grund der beengten Platzverhältnisse des bisherigen Gehweges auf der Puppenbrücke, kann keine gemeinsame Führung des Radverkehrs mit den Zufußgehenden im Seitenraum erfolgen, daher wird die rechte (dritte) Fahrspur künftig für den Radverkehr genutzt. Eine Trennung der Kfz-Fahrspur von der neuen Radspur kann durch bauliche Elemente, die u. a. noch mit der Feuerwehr abgestimmt werden, erfolgen.

 

Von den weiteren Kreiszufahrten kommend wird der Radverkehr auch nicht mehr in den Kreisverkehr, sondern im seitlichen Raum geführt und über die neu angelegten Furten oder die vorhandenen Lichtsignalanlagen geleitet.

 

Die Zu- und Abfahrten des Kfz-Verkehrs Hansestraße und Puppenbrücke werden gemäß Regelwerk einstreifig ausgebildet. Die Zu- bzw. Abfahrt der Fackenburger Allee kann zweistreifig ausgebildet werden, da dort der Fuß- und Radverkehr gesichert mittels Lichtsignalanlage die Fahrbahn quert.

 

Die bisherigen Führungen des Radverkehrs in die Kreisfahrbahn hinein werden zurückgebaut.

Eine Nutzung der rechten Kreisfahrbahn ausschließlich für den Radverkehr wird auf Grund des nicht ausreichenden Abstandes (4,00 m – 5,00 m) vom Kfz-Verkehr in den Zu- und Abfahrten und der hohen Kfz-Belastung am Kreisverkehr, die zwei Kreisfahrbahnen benötigt, nicht weiterverfolgt (Angaben siehe Merkblatt für Kreisverkehre sowieERA).

 

Die bauliche Umsetzung dieser Variante hat zur Verringerung des Unfallgeschehens möglichst zeitnah zu erfolgen. Auch wenn die bauliche Umsetzung weitaus geringer ist als bei einem Komplettumbau, so werden während der Bauphase zeitweise Umleitungsführungen und Einschränkungen im Bereich von Zu- und Abfahrten notwendig. Hierzu finden aktuell enge Abstimmungen u. a. mit der Stabstelle VeGeS und den Stadtwerken Lübeck Mobil statt.

 

Durch die beschriebene Lösung werden für den Radverkehr weitere/längere Wege als im Bestand entstehen. Auch für den Kfz-Verkehr wird es auf Grund des Wegfalles der rechten Fahrspur vom Holstentor kommend und durch die zukünftig einstreifig ausgebildeten Zu- und Abfahrten (Hansestraße/Puppenbrücke) zu zusätzlichen Behinderungen kommen.

 

Ähnlich wie beim Mühlentorplatz, wo durch den Umbau zur Interimslösung nahezu keine Konflikte in den vorgelagerten Knotenpunkten entstanden sind, wird auch hier davon ausgegangen, dass während der Spitzenzeiten keine bzw. nur sehr geringfügige Rückstauerscheinungen in den Kreuzungsbereich Fackenburger Allee/Werner-Kock-Straße sowie in der Hansestraße Richtung ZOB auftreten.

 

Zum Knoten Holstentorplatz/Puppenbrücke/Willy-Brandt-Allee werden keine Rückstaus in den Kreuzungsbereichen erwartet, da der freilaufende Rechtsabbiegestreifen Richtung Fackenburger Allee ausreichend leistungsfähig ist.

 

Die bestandsnahe Lösung wie auch der Bestandskreisverkehr können die derzeitigen Kfz-Verkehrsbelastungen nicht ausreichend abwickeln. Daher ist ein grundsätzlicher Umbau des Lindenplatzes zu betrachten. Hierfür werden zurzeit weitere Lösungen erarbeitet, welche nachfolgend kurz vorgestellt werden. Sobald die Variantenuntersuchung abgeschlossen ist, werden die Ergebnisse dem Bauausschuss vorgelegt. Hierbei sollen auch die Erkenntnisse aus dem derzeit in der Bearbeitung befindlichen Verkehrsentwicklungsplan mit einbezogen werden.

 


2. Knotenpunkt mit Lichtsignalanlage – mögliche Variante mittelfristig umzusetzen

 

Abb. 5 Knotenpunkt mit Lichtsignalanlage

 

Für den Knotenpunkt mit Lichtsignalanlage wurde die aktuelle Verkehrsbelastung zu Grunde gelegt und eine Geometrie mit Signalisierung entwickelt. Der Radverkehr wird auf eigenen Radwegen neben dem Fußverkehr geführt. Die Zu- und Abfahrten für den Kfz-Verkehr werden in der Regel zweistreifig, außer im Zuge der Fackenburger Allee dreistreifig ausgebildet. Für die Zufahrt Puppenbrücke wird eine Bypasslösung angestrebt, da ein sehr starker Rechtsabbiegeverkehr zu verzeichnen ist.

 

Abb. 6 Knotenpunkt mit LSA Ausschnitt Querschnitt Puppenbrücke

 

Die ausreichende Abwicklung der derzeitigen Verkehrsbelastung wäre mit dieser Lösung möglich (Qualitätsstufe des Verkehrs QSV (Qualitätsstufe des Verkehrs) nach HBS „D“).

 

 

3. Kreisverkehr mit Lichtsignalanlage - mögliche Variante mittelfristig umzusetzen

 

Für die Lösung „Kreisverkehr mit Lichtsignalanlage“ wurden ebenfalls mehrere Möglichkeiten geprüft.

 

Abb. 7 (Turbo-)Kreisverkehr mit Lichtsignalanlage

 

Als günstigste Lösung hinsichtlich der Verkehrsabwicklung wurde eine „Turbokreisverkehrslösung“ näher betrachtet. Da insbesondere die Verkehrsbeziehung Fackenburger Allee  Puppenbrücke überdurchschnittlich frequentiert wird, stellte sich diese Variante als vorteilhaft heraus. Die Lösung eines Kreisverkehrs mit Lichtsignalanlage ohne Turboprinzip ist weniger leistungsfähig.

 

Abb. 8 (Turbo)-Kreisverkehr Ausschnitt Querschnitt Puppenbrücke

 

Signalisierte Furten müssen bei der Turbokreisverkehrslösung mind. 20 m abgesetzt werden, dadurch muss der Fuß- und Radverkehr weitere Wege bis zur Querungsstelle zurücklegen. Als Kfz-Fahrende muss man sich rechtzeitig, vor dem Kreisverkehr, in die richtige Fahrspur einordnen. Dies wird insbesondere für nicht ortskundige Verkehrsteilnehmende, auch wenn dies mittels Wegweisung angezeigt wird, herausfordernd sein.

 

Die Leistungsfähigkeit wurde auf Grundlage einer Simulation ermittelt und erreicht die Qualitätsstufe „F“.

 

 

Fazit

 

Das weitere Vorgehen soll in zwei Schritten erfolgen:

  1. Um die Verkehrsunfallzahlen zeitnah zu reduzieren, wird zunächst die bestandsnahe (Interims-) Lösung umgesetzt. Dazu werden derzeit Vorbereitungen getroffen.

 

  1. Wie die finale Umgestaltung des Kreisverkehrs unter dem Aspekt der größtmöglichen Verkehrssicherheit aussehen soll, muss zunächst von der Straßenverkehrsbehörde u. a. in Zusammenarbeit mit der Abteilung Urbane Mobilitätsprojekte, der Polizei sowie der Straßenverkehrsbehörde gemeinsam mit der Fachaufsicht geprüft werden.

 

Die Entscheidungsvorlage für einen endgültigen Knotenumbau wird nach weiteren Planungen und Abstimmungen auch im Hinblick auf den noch nicht beschlossenen VEP den politischen Gremien zur Abstimmung vorgelegt.

Ein möglicher finaler Umbau kann nur unter Berücksichtigung weiterer Baumaßnahmen (bspw. Fernwärme, Brückenbau, sonstige Straßenbaumaßnahmen) und den dafür erforderlichen Umleitungen zeitlich eingeordnet werden. Derzeit wird von einer Umsetzung nach dem Jahr 2032 ausgegangen.

 

 

Finanzielle Auswirkungen (s. auch Anlage 1)

 

Die Kosten für die Interimsmaßnahme belaufen sich auf ca. 620.000 EUR (brutto). Die Mittel stehen aktuell auf dem Produktsachkonto 541001.000.5221005 Gemeindestraßen/ Unterhaltung Straßen zur Verfügung. Diese werden jedoch zur haushaltsrechtlichen Ordnung auf Grund der Klassifizierung des Lindentellers als Landesstraße noch auf das Produkt 543001 (Landesstraßen) verschoben.

 

 

Geplante Umsetzung und damit verbundene Auswirkungen

 

Es wird von einem Bauzeitraum von insgesamt ca. 6 bis 8 Wochen ausgegangen. Derzeit wird geprüft, ob die Baumaßnahme im Bereich der Puppenbrücke und der Hansestraße halbseitig hergestellt werden kann. Sollten die notwendige Breiten nicht zur Verfügung stehen, müssten diese Bereiche unter Vollsperrung hergestellt werden. Hierzu wurden u.a. Fahrversuche mit den Stadtwerken Mobil an der Kreisverkehrsausfahrt Richtung Holstentor unternommen, um festzustellen, ob ein Umbau bei fließendem Verkehr möglich ist. Die Fahrversuche hierzu verliefen positiv.

 

Der Bauausschuss wird über das endgültige Prüfergebnis vor Ausführung der Arbeiten informiert.

 

Die Umsetzung ist in den Sommerferien 2026 geplant.

 

 

Begründung für die Dringlichkeit:

Die Dringlichkeit besteht darin, dass wie in der Vorlage formuliert, die Umbauarbeiten aufgrund der hohen Verkehrsbelastung im Kreisverkehr nur in den Sommerferien durchgeführt werden können und die Ausschreibung und Vergabe der Bauleistung bis zum 03.07.2026 erfolgen muss. Für das Verfahren wird ein Zeitraum von 9 – 10 Wochen benötigt. Hinsichtlich der straßenverkehrsrechtlichen Umsetzung handelt es sich um eine Weisungsaufgabe.

 

Reduzieren

Anlagen

Loading...

 

Das könnte Sie auch interessieren