Anlass der Maßnahme
Im Jahr 2025 ist vorgesehen, in der Moislinger Allee auf einer Länge von ca. 2,3 km im Abschnitt zwischen Moislinger Baum/ Buntekuhweg und Töpferweg eine grundhafte Fahrbahnsanierung durchzuführen (siehe VO/2024/13758). Gleichzeitig werden die EBL eine Kanalsanierungsmaßnahme im Margarethenweg mit Einbindung in die Moislinger Allee durchführen. Um Synergien zu nutzen, sollen im gleichen Zeitraum die Bushaltestellen in diesem Abschnitt so weit wie möglich barrierefrei umgestaltet werden. Insgesamt befinden sich in dem Abschnitt sechs Haltestellen mit zwölf Haltesteigpositionen.
Gesetzliche Vorgabe zum Barrierefreien Umbau von Bushaltestellen
Die gesetzlichen Vorgaben im Personenbeförderungsgesetz (PBefG) sahen einen Ausbau aller ÖPNV-Haltestellen bis Ende 2021 vor. Dieses Ziel gilt generell weiter und ist auch im 5. RNVP der Hansestadt, aktuell beschlossen am 15.10.2024 im Hauptausschuss, festgeschrieben.
Beschreibung der Maßnahme:
Buslinien / Haltestellen
Im Einzelnen sind folgende Haltestellenpositionen betroffen (se=stadteinwärts, sa=stadtauswärts):
- 5, - Drägerwerk se, sa, beide derzeit Haltebuchten
- 5 - Hansering se, sa, beide derzeit Haltebucht hinter Knotenpunkt
- 5, 6, 16, (26) Lutherkirche se, sa, beide derzeit Haltebucht, sa hinter Knotenpunkt
- 5, 6, 16, (26) Roter Löwe se, sa, beide derzeit Haltebuchten
- 5, 6, 16, (26) Talweg se, 5 sa, beide derzeit Haltebuchten
- 5 Schaluppenweg se, sa, sa derzeit Haltebucht vor Einmündung, se derzeit Fahrbahnrandhaltestelle
Darüber hinaus ist vorgesehen, zum nächsten Fahrplanwechsel eine neue zusätzliche Buslinie (Linie 26) im Bereich von Kolberger Straße bis Fregattenstraße (beinhaltet die Haltestellen Lutherkirche, Roter Löwe und Talweg se) einzurichten. Die Buslinien der Autokraft fahren nur morgens vor Schulbeginn jeweils eine Fahrt und werden nicht weiter berücksichtigt.
Bereich/Standards
Die Standards für die barrierefreie Warteflächengestaltung sowie den barrierefreien Ein- und Ausstieg sind im Kapitel 7.8.2 Mindestanforderungen an die Barrierefreiheit der aktuell beschlossenen 5. Fortschreibung des RNVP für die Hansestadt Lübeck beschrieben. Es handelt sich im Wesentlichen um einen von sechs Bereichen, die in der Tabelle 26 beschrieben sind. Der Standard orientiert sich am „Leitfaden für barrierefreie Bushaltestellen in Schleswig-Holstein für Baulastträger“ der NAH.SH.
Die nachfolgend aufgeführten Punkte konnten bei der Umplanung der Haltestellen weitgehend berücksichtigt werden:
- Die Anordnung von Fahrbahnrandhaltestellen, wo immer möglich, zur Stärkung des Umweltverbundes zur Erreichung einer Reisezeitverkürzung
- Barrierefreie Warteflächengestaltung sowie barrierefreier Ein- und Ausstieg
- Kontrastreiche Farbgebung der Oberflächen
- Ausreichende Beleuchtung
- Einsatz von Sonderborden, in Lübeck Standard: Kasseler Sonderbord
- Eine Bordsteinhöhe von gewählt 18 cm zur Minimierung der Einstiegshöhe
- Blindenleitstreifen und - orientierungssysteme
- Eine Wartehalle (Fahrgastunterstand/FGU), sofern es die Örtlichkeit zulässt und die Fahrgastfrequenz rechtfertigt
- Eine gute Übersichtlichkeit und Einsehbarkeit
- Ggf. eine Optimierung der Zuwegung zu den Haltestellen, bspw. durch Absenkung von Bordsteinen zwischen Gehweg und Fahrbahn
- Ausreichend Bewegungsraum (mind. 1,50m x 1,50m) auch vor und in den FGUn
In der Realität können nicht immer alle Belange der Mindestanforderungen an die Barrierefreiheit realisiert werden, z.B. aufgrund der vorhandenen örtlichen Gegebenheiten, Flächenbeschränkungen und sich überlagernden Nutzungsansprüchen. Insbesondere bei der Führung des Fuß- und Radverkehrs müssen häufig Kompromisse getroffen werden bzw. es konnte an der Bestandsituation nichts verändert werden.
Einschränkungen – Haltesteig, kein Ausbau möglich
Die baulichen Gegebenheiten im vorhandenen Straßenraum können dazu führen, dass Haltestellen nicht an den vorhandenen Standorten barrierefrei ausgebaut werden können, da z.B. die Lage von Grundstückseinfahrten oder die vorhandenen Straßenquerschnitte oder die Verkehrsbelastungen und –Verteilungen so ungünstig sind und einen solchen Ausbau nicht zulassen. Dies betrifft die Haltesteige Lutherkirche sa/se sowie den Haltesteig Hansering sa. Hier werden zunächst nur die Fahrbahnbeläge in der bestehenden Geometrie erneuert. Für einen regelkonformen barrierefreien Umbau der vorgenannten Haltestellenpositionen ist eine Umplanung bzw. Verlegung der Haltesteige unter Berücksichtigung großräumiger verkehrlicher Belange erforderlich. Diese Planungsleistung ist im Rahmen dieser Maßnahme zeitlich nicht durchführbar gewesen, so dass sich zunächst für diese Verfahrensweise entschieden wurde. Der Umbau der Haltestelle erfolgt zu einem späteren Zeitpunkt.
Busbucht und barrierefreier Ausbau möglich
Wird aufgrund verkehrlicher Belange, hierzu gehören die Verkehrsbelastung sowie die Anzahl und Taktung der Buslinien, bzw. zur Erhaltung der Verkehrssicherheit die Beibehaltung von Bushaltebuchten erforderlich und wenn die Platzverhältnisse ausreichend sind, wird die Bucht barrierefrei ausgebaut. Im konkreten Fall betrifft dies die Haltesteigpositionen Hansering se, Roter Löwe se/sa, sowie Talweg se.
Überquerungsmöglichkeiten
Eine Überquerungsmöglichkeit der Moislinger Allee an den Haltestellen ist immer über Fu-LSA’n (Fußgänger-LSA) gegeben, bei 4 Haltesteigen jedoch mit größeren Entfernungen zur Fu-LSA. Die Fu-LSA‘n sind allesamt nicht barrierefrei (gemeint sind taktile Elemente) ausgebaut. Dies müsste zeitnah in einem nächsten Schritt nachgeholt werden.
Der Beirat für Menschen mit Behinderungen wurde im Zuge der Planung beteiligt.
Vorstellung der Umplanungen der Haltestellenpositionen






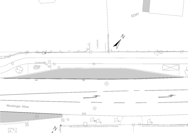
Abbildung 1: Drägerwerk stadtauswärts




Abbildung 2: Drägerwerk stadteinwärts



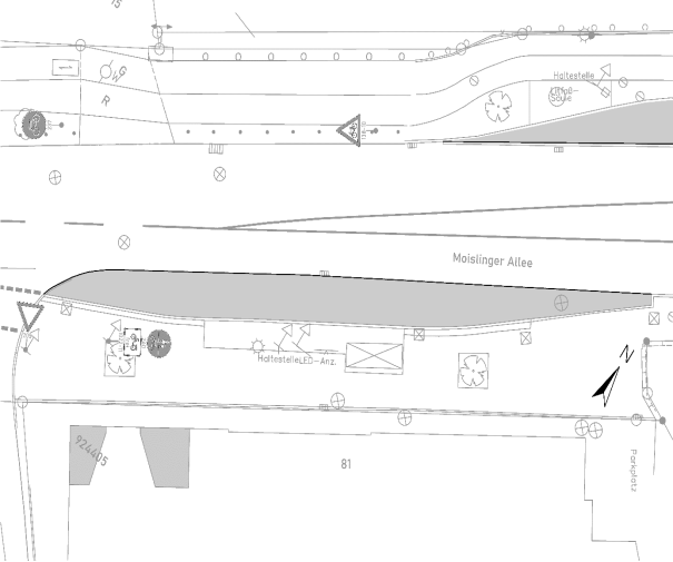
Abbildung 3: Hansering stadtauswärts



Abbildung 4: Hansering stadteinwärts



Abbildung 5: Lutherkirche stadtauswärts



Abbildung 6: Lutherkirche stadteinwärts



Abbildung 7: Roter Löwe stadtauswärts





Abbildung 8: Roter Löwe stadteinwärts


Abbildung 9: Talweg stadtauswärts



Abbildung 10: Talweg stadteinwärts



Abbildung 11: Schaluppenweg stadtauswärts



Abbildung 12: Schaluppenweg stadteinwärts
Kosten / Finanzierung
Im Rahmen der Vorplanung wurde eine (Bau-)Kostenschätzung erarbeitet, welche die zum Zeitpunkt der Erstellung bekannten Bau- und Planungskosten beinhaltet. Im Zuge der noch für 2024 geplanten Ausschreibung wurden Kosten in Höhe von vor. 912.000 EUR brutto ermittelt. Diese teilen sich vorläufig wie folgt auf:
konsumtive Abrisskosten ca. 156.000 €
investive Baukosten ca. 756.000 €
Es wird versucht, Fördermittel zu beantragen. Aktuell kann nicht gesagt werden, ob und ggf. wie viel Förderung erwartet werden kann.
Die Maßnahme wird aus dem Bereichsbudget gedeckt und unterjährig auf dem Produktsachkonto 544001 573 7852000 Bundesstraßen/Bushaltestellen sortiert.
Um einen rechtzeitigen Baubeginn im Frühjahr 2025 zu gewährleisten, soll die Maßnahme bereits Ende 2024 gemeinsam mit der Fahrbahnsanierung Moislinger Allee ausgeschrieben werden.
Zeitplan:
Die Ausschreibung der Baumaßnahme soll gemeinsam mit der Fahrbahnsanierung der Moislinger Allee Ende 2024 erfolgen. Die Umsetzung der Baumaßnahme soll ab März 2025 erfolgen.