Notwendigkeit der Baumaßnahme
Mit der Vorlage VO/2022/11418 vom 31.08.2022 „Altstadtbrückenbericht und Bauprogramm bis 2037“ informierte der Bereich Stadtgrün und Verkehr die politischen Gremien über die geplanten Brückenbaumaßnahmen, insbesondere über die kurzfristig anstehenden Maßnahmen. Dazu gehört auch die Sandbergbrücke. Mit einer Zustandsnote von 3,5 wird dem Bauwerk ein ungenügender Bauwerkszustand attestiert. Das bedeutet, dass eine umgehende Instandsetzung bzw. Ersatzneubau erforderlich ist, um die Standsicherheit, Dauerhaftigkeit und Verkehrssicherheit sicher zu stellen.
Historische Einordnung des Bauwerkes
Die Planungen zu einem vierspurigen, autobahnähnlichen Ausbau der Straße von Lübeck St. Gertrud bis Lübeck-Travemünde begannen im Jahr 1957. Durch die rasche Entwicklung des Straßenverkehrs war eine Überschreitung der vorliegenden Straßenkapazitäten - insbesondere in den Sommermonaten - zu erwarten, sodass ein Ausbau unausweichlich schien. Im Jahr 1960 war die B 75 so stark befahren, dass sie von Fußgänger:innen nicht mehr gefahrlos überquert werden konnte und zwei hölzerne Fußgängerbrücken errichtet wurden. Im Juni 1962 begannen die Arbeiten zum Ausbau, zu dem auch der Knoten Sandberg gehörte. Die damalige Motivation in der Fahrbahnunter-/überführung am Sandberg lag in der Entlastung des Verkehrs am Burgtorplatz und in der kleinstmöglichen Gesamtausbaubreite der Straße an diesem Punkt zur Schonung der beidseitigen Grünflächen für den Ost-West-Verkehr.
Der Knotenpunkt Sandberg wurde auch aufgrund deutlich höherer Verkehrsmengenprognosen als niveaufreies Bauwerk entworfen. Die damals prognostizierten Verkehrsmengen haben sich spätestens mit der Errichtung des mautpflichtigen Herrentunnels bzw. dem Wegfall der gebührenfreien Herrenbrücke und der A 226 nicht eingestellt und unterschreiten diese bis heute deutlich.
Während die Sandbergbrücke aufgrund ihres Zustandes für eine weitere Nutzung aufwendig zu sanieren wäre, bietet sich bei den aktuell vorliegenden Verkehrszahlen auch eine Umwandlung des Knotenpunktes zur derzeitigen niveaufreien Lösung an. Entsprechend der technischen Machbarkeitsprüfung wäre der Verkehr dann in ausreichender Qualität und ohne aufwendige Unterhaltung eines Ingenieurbauwerkes abwickelbar. Neben den finanziellen Vorteilen bietet sich dadurch die Chance, dass durch eine niveaufreie Kreuzung weniger Flächen versiegelt sind oder aber mehr Flächen der Nutzung durch Fuß- und Radverkehr zur Verfügung gestellt werden können. Dies entspricht der Zielsetzung einer nachhaltigen Stadt- und Verkehrsentwicklung.
Als Zeitzeugnis der autogerechten Stadt wurde das Gesamtensemble auch auf seine Denkmalwürdigkeit geprüft. Die Abteilung Denkmalpflege hat dabei alle vorliegenden Unterlagen zur Historie und den aktuellen Planungsvorhaben im Sinne einer Prüfung auf Zumutbarkeit und Verhältnismäßigkeit für den Eigentümer des betroffenen Objekts mit dem Ergebnis ausgewertet, dass auf die weiterführende Prüfung des Gesamtumfangs der Verkehrsführung aus den 1960er Jahren ff. verzichtet wird.
Die Abteilung Denkmalpflege brach daher die Prüfung der gesamten historischen Verkehrsstreckenführung ab und wies den bereits geprüften Streckenabschnitt Travemünder Allee unter Berücksichtigung aller vorliegenden Argumente nicht gesondert als Kulturdenkmal aus.
Bestandsbauwerk
Die Sandbergbrücke bildet zusammen mit der Straßenunterführung Travemünder Allee/B75 eine niveaufreie Kreuzung mit den Straßen Sandberg und Heiligen-Geist-Kamp im Stadtteil St. Gertrud. Sie grenzt u. a. an den Burgtor- und Ehrenfriedhof sowie den Rudolf-Groth-Park. Über die Kreuzung führen Verkehre von/nach Richtung Nordtangente/Eric-Warburg-Brücke, Gustav-Radbruch-Platz, Herrentunnel und dem Heiligen-Geist-Kamp. Der Überbau wird täglich von ca. 24.000 Kfz genutzt. Die unterführte Straße wird von ca. 7.600 Kfz/Tag befahren.

(Quelle: OpenStreetMap)
Bei dem Überbau aus dem Jahre 1962/64 handelt sich um eine einfeldrige Spannbetonhohlplatte mit einer Stützweite von 20,30 m und einer Breite von 42,30 m. Zur Gewichtsersparnis wurden in der Überbauplatte 40 Hohlkörper mit geringer Betondeckung verwendet. Diese Bauweise ist mittlerweile vom Bundesministerium für Digitales und Verkehr als kritische Bauweise eingestuft worden.
Die Überbauplatte stützt sich auf jeweils fünf Widerlager-Wandelementen ab. Die einzelnen Elemente sind durch Fugen getrennt.
Die nordwestlich und südöstlich an der Brücke angrenzenden Stützwände (Gesamtlänge 256,57 m) sind als Schwergewichtswände aus Stahlbeton (bereichsweise rückverankert) mit Kragarmen ausgeführt. Sie stützen die Einfahrt- und die Ausfahrtrampen zur B 75.

Bauwerkszustand
Die Sandbergbrücke weist erhebliche Schäden in der Tragkonstruktion sowie an den beidseitigen Kragarmkonstruktionen der Geh-/Radwege auf.
Im Zuge der letzten Hauptprüfung 2021 wurde das Teilbauwerk 1 (Überbau einschl. Widerlager) mit der Zustandsnote 3,5 (ungenügender Bauwerkszustand gem. DIN 1076) bewertet. Hier wurden u. a. massive Schädigungen wie z. B. Betonabplatzungen, Rissbildungen und Aussinterungen an der Untersicht der Überbauplatte z. T. mit erheblicher Schadenserweiterung festgestellt.
Die Hauptprüfung an den Stützwänden (Teilbauwerke 2 und 3) im Jahre 2021 führte zu einer Zustandsnote von 2,8 (noch ausreichender Bauwerkszustand gem. DIN 1076). Hier sind vor allem massive Betonschädigungen sowohl an den senkrechten Flächen als auch an den Bauwerkskappen vorzufinden.
Untersuchungen
Bereits Ende 2016 wurde eine Objektbezogene Schadensanalyse (OSA) zu den Schäden am Bauwerk durchgeführt. Diese OSA stellte u. a. massive Schädigungen an der Überbauunterseite fest. Diese lassen sich auf die mangelnde Bauwerksabdichtung an der Oberseite und die zu geringe Betondeckung des Bewehrungsstahls im Bereich der Hohlkörper zurückführen. In den Hohlkörpern wurde eine erhebliche Menge Wasser vorgefunden. Die Chloridgehalte am Beton waren grenzwertig bzw. teilweise überschritten. Durch Chloride im Beton wird die vorhandene Bewehrung stark angegriffen, was zu einer Verstärkung der Korrosion bis zu einer Zerstörung der Bewehrung führt. Die Korrosion der Bewehrung führt zu einer Volumenvergrößerung und in der Folge zu Rissen und Abplatzungen des Betons.
Bei dieser OSA wurde u. a. auch der Spannstahl untersucht. Diese Untersuchung kam zu dem Ergebnis, dass das Risiko einer Spannungsrisskorrosion des Spannstahls nicht ausgeschlossen werden kann. Durch diese Spannungsrisskorrosion könnte es zum plötzlichen Versagen (also einem Versagen ohne Vorankündigung, d. h. ohne vorherige erkennbare Rissbildung) einzelner Spannglieder kommen.
Nach Aussage der Beteiligten an den vorgenannten Untersuchungen (Bauwerksprüfer und Prüfingenieure) wird dem Überbau eine Tragfähigkeit/Standfestigkeit bis maximal Ende 2025 attestiert. Als Grundvoraussetzung hierfür muss der Überbau ab sofort engmaschiger, d. h. zurzeit jährlich überwacht werden.
2020 wurden ergänzende Betonuntersuchungen vornehmlich an den Stützwänden durchgeführt. Diese Untersuchungen zeigten, dass die Stützwände durch den Tausalzeinsatz massive Chloridgehalte aufweisen. Diese sind z. T. so stark, dass der Beton im Zuge einer Instandsetzung als Z2-Abfall einzustufen wäre. Diese Chloridgehalte und die durch die vorhandene Oberflächenstruktur zu geringen Betondeckungen führen zu den starken Betonabplatzungen.
Zwingend durchzuführende Baumaßnahmen
Überbau
Aufgrund der starken vorhandenen Schädigungen der Überbauplatte, dem nicht auszuschließenden Risiko der Spannungsrisskorrosion des Spannstahls und der zu geringen Betondeckung des Bewehrungsstahls vor allem im Bereich der Hohlkörper sowie der Einstufung als kritische Bauweise muss der Überbau zwingend erneuert werden.
Bedingt durch die geringe Betondeckung unterhalb der Hohlkörper kommt es unterhalb deren Scheitelpunkten zu einer verstärkten Längsrissbildung. Hier ist mit einer weiteren Schadenserweiterung in den nächsten Jahren zu rechnen.
Durch die Undichtigkeiten im Überbau kommt es trotz nachträglich geschaffener Ablauföffnungen immer wieder zu Wasseransammlungen in den Hohlkörpern. Dieses stellt eine nicht unerhebliche Gewichtszunahme für die Stahlbetonplatte dar. Die Hohlkörper lassen sich nur mit erhöhtem Aufwand kontrollieren und entwässern. Ferner führt der Wassereintrag zu einem erhöhten Eintrag von Chloriden in den Konstruktionsbeton. Dieser Chlorideintrag schädigt die Bewehrung stark und in der Folge den Beton. Es ist daher analog der Stützwände von einer stark geschädigten Betonoberfläche unterhalb der Fahrbahn auszugehen.
Aufgrund der geometrischen Abmessungen und Bauweise des Überbaus können keine
Verstärkungsmaßnahmen am Überbau durchgeführt werden. Diese wären auch in Hinblick auf den vorhandenen bzw. zunehmenden (Schwer-)Verkehr und der geringen Restnutzungsdauer des Bauwerks unwirtschaftlich.
→ Der Überbau muss zwingend bis Ende 2025 komplett abgebrochen werden.
Stützwände
Für eine weitere dauerhafte Nutzung der Stützwände muss aufgrund des starken Chloridgehaltes in den ersten 5 bis 10 cm des Betons der geschädigte Beton bis zum Stützwandsporn vollflächig abgetragen und erneuert werden (ca. 1.800 m²).
Die Stahlbetonstützwandköpfe müssen aufgrund ihrer Schädigungen auf ganzer Länge (insgesamt ca. 550 m) komplett erneuert werden.
Absturzsicherungen
Auf dem Überbau und den Stützwänden müssen die Geländer den geltenden Vorschriften für einen Geh-/Radweg angepasst und somit erneuert werden (1,20/1,30 m Füllstabgeländer anstelle der ca. 1,00 m hohen Holmgeländer).
Im Zuge der Vorplanung der Instandsetzung des Bauwerks wurden die beiden nachfolgenden Alternativen untersucht.
Alternative 1: Überbauerneuerung und Instandsetzung der Stützwände
(keine Änderung des Knotenpunktes)
Bei dieser Alternative wird das Bauwerk instandgesetzt und aus verkehrlicher Sicht der Ursprungszustand wiederhergestellt („Status quo bleibt erhalten“). Das bedeutet, dass alle ursprünglichen Fahrstreifen in ihrer Lage und mit ihrer Signalisierung nach der Überbauerneuerung und Stützwandinstandsetzung erhalten bleiben. Es findet keine Veränderung der Verkehrsbeziehungen statt.
Überbau
Nach derzeitigen Stand könnte der Überbau in ähnlichen Abmessungen wiederhergestellt werden. Allerdings müssen für diesen neuen Überbau entweder die vorhandenen Widerlagerwände massiv verstärkt, eine Tiefgründung mit Bohrpfählen hergestellt oder die Widerlagerwände komplett erneuert werden. Für diese Maßnahmen sind entsprechend tiefe Baugruben mit Baugrubenverbauten notwendig.
Stützwände
Es erfolgt eine Betoninstandsetzung der Stützwände. Die ersten 5 bis 10 cm des Betons der Stützwände werden bis zum Stützwandsporn vollflächig abgetragen. Anschließend erfolgt der Auftrag von Spritzbeton. Die „langgezogene Wellenform“ der Stützwände bleibt dabei erhalten. Die „kleinen Wellen“ in der Oberfläche werden durch eine glatte Oberfläche ersetzt. Die vorhandene Oberflächenstruktur schwächt in den Tälern die Betondeckung der statisch erforderlichen Bewehrung. Zur Wiederherstellung der kleinen Wellen müsste außerdem das komplette Einbauverfahren umgestellt werden (aufwändiger Schalungsbau, Betoneinbau über Einfüllstutzen, Verdichtungsprobleme und somit Probleme mit der Dauerhaftigkeit der profilierten Oberfläche).
Die Stützwände unterhalb des Überbaus werden wieder mit glatter Oberfläche hergestellt.
Die Betoninstandsetzung muss bis auf den Stützwandsporn im Erdreich geführt werden. Im Anschluss muss der Beton des Sporns abgedichtet werden, um weitere Chlorideinträge durch stehendes Wasser zu verhindern.
Der Abbruch und die Wiederherstellung der Stahlbetonstützwandköpfe werden erforderlich. Hier könnte nach dem derzeitigen Stand eine Wiederherstellung in nahezu gleichen geometrischen Abmessungen erfolgen.
Absturzsicherungen
Die Geländer auf den Stützwänden („Notgehweg“) werden nach der Erneuerung der Stützwandköpfe in ähnlicher Weise wiederhergestellt.
Auf dem Überbau werden neue Geländer den geltenden Vorschriften für einen Geh-/Radweg entsprechend montiert (1,20/1,30 m Füllstabgeländer anstelle der ca. 1,00 m hohen Holmgeländer).
Verkehrseinrichtungen
Mit dem Abschluss der Baumaßnahme werden alle Lichtsignalanlagen, Fahrbahnmarkierungen und Verkehrszeichen in ihrer alten Lage und Funktion nur nach dem aktuellen Stand der Technik wiederaufgebaut.
Verkehrsführung während der Baumaßnahme
Die Überbauerneuerung wird hierbei in halbseitiger Bauweise durchgeführt. Hierbei werden alle Verkehrsbeziehungen, wenn auch z. T. mit geringeren Fahrstreifen, auf dem noch verbleibenden bzw. neuen Teilüberbau aufrechterhalten. Dieses gilt auch einseitig für Zufußgehende und Radfahrende.
Der Verkehr auf der Travemünder Allee (B75) wird im Baustellenbereich mit einem Fahrstreifen je Richtung am Mittelstreifen geführt.
Für den Fuß- und Radverkehr Richtung Lübeck-Travemünde bzw. Gustav-Radbruch-Platz gibt es keine geplanten Einschränkungen.
Für verschiedene Bauphasen (z. B. Teilabbruch des Überbaus, Herstellung Baugrubenverbau usw.) wird es kurze Vollsperrungen des Knotenpunktes (z. B. am Wochenende) geben.
Bauzeit
In 2023 wird die Planung der Maßnahme abgeschlossen und ausgeschrieben, um im Frühjahr 2024 mit der Baumaßnahme beginnen zu können. Es ist von einer Bauzeit von zwei Jahren auszugehen, sodass die wesentlichen Arbeiten Ende 2025 abgeschlossen sind. Im Frühjahr 2026 werden dann noch kleinere Restarbeiten durchgeführt.
Kosten
Instandsetzung des Bauwerks (Stand Vorplanung): 12.000.000 € brutto
Planungskosten: 1.000.000 € brutto
Gesamtkosten Alternative 1: 13.000.000 € brutto
Alternative 2: Abbruch des Bauwerks und Herstellung eines neuen niveaugleichen Knotenpunkts
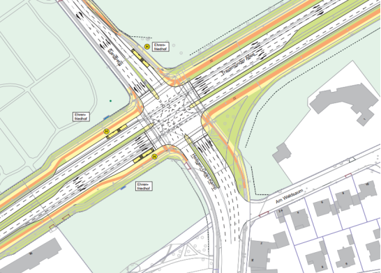
Bei dieser Alternative wird das Bauwerk ersatzlos abgebrochen und ein komplett neuer niveaugleicher („ebenerdiger“) Knotenpunkt in veränderter Lage und Aufbau (siehe Planauszug aus Machbarkeitsuntersuchung bzw. Anlage 2) hergestellt.
Luftbild Ist-Zustand

Planauszug aus Machbarkeitsuntersuchung

Überbau/Trogstrecke
Der komplette Straßenaufbau in der Trogstrecke der B75 wird zurückgebaut und mit Boden verfüllt. Im Bereich des Überbaus erfolgt zunächst nur eine Teilverfüllung. Erst nach dem Abbruch des vorhandenen Überbaus in zwei Abschnitten erfolgt dort die Restverfüllung.
Im Anschluss erfolgt in dieser Baumaßnahme eine provisorische Herstellung des Fahrbahnbereichs in Verlängerung des „Heiligen-Geist-Kamps“ bzw. „Sandberg“.
Danach wird in einer Straßenbaumaßnahme unter Nutzung der provisorischen Fahrstreifen für die Bauzeit der eigentliche Verkehrsknotenpunkt einschl. Beleuchtung und Signalisierung final hergestellt. Die verbleibenden Nebenflächen und ggf. nicht mehr benötigen Straßenflächen werden zurückgebaut und umgestaltet.
Stützwände
Die Stützwände werden bis 1,50 m unterhalb der Geländeoberkante abgebrochen. Die restlichen Stahlbetonteile verbleiben im Boden. Ein Abbruch der kompletten Betonteile würde einen erheblichen Aufwand bedeuten. Es müssten bis zur Gründungsebene reichende Baugruben (bis zu 6,00 m tief) mit entsprechenden Verbauten hergestellt werden. Dadurch wäre der Verkehrsfluss insbesondere auf den Rampen erheblich eingeschränkt bzw. zum Teil gar nicht möglich. Der finanzielle Aufwand und die bauzeitlichen Auswirkungen wären enorm.
Absturzsicherungen
Entfallen, da keine Absturzhöhen vorhanden sind.
Verkehrsführung während und unmittelbar nach dieser Baumaßnahme
Der Abbruch wird in halbseitiger Bauweise durchgeführt. Hierbei werden alle Verkehrsbeziehungen, wenn auch z. T. mit geringeren Fahrstreifenbreiten, auf dem noch verbleibendem Teilüberbau bzw. der neuen provisorischen Fahrbahn aufrechterhalten. Dieses gilt auch einseitig für Zufußgehende und Radfahrende.
Der Verkehr von der Travemünder Allee (B75) wird im Baustellenbereich über die vorhandenen parallel zu den Stützwänden verlaufenden Rampen geführt.
Für den Fuß- und Radverkehr Richtung Lübeck-Travemünde bzw. Gustav-Radbruch-Platz gibt es keine Einschränkungen.
Bis zur Herstellung des neuen Knotenpunkts wird der Verkehr über die vorhandenen parallel zu den Stützwänden verlaufenden Rampen und über die provisorischen Fahrbahnen in Verlängerung des „Heiligen-Geist-Kamps“ bzw. „Sandberg“ mit entsprechender Signalisierung geführt.
Für verschiedene Bauphasen (z. B. Teilabbruch des Überbaus usw.) wird es kurze Vollsperrungen des Knotenpunktes (z. B. am Wochenende) geben müssen.
Kosten für die Gesamtbaumaßnahme
Abbruch Bauwerk inkl. prov. Knotenpunkt (Stand Vorplanung): 5.000.000 € brutto
Herstellung Knotenpunkt im Endzustand (Kostenschätzung): 3.500.000 € brutto
Planungskosten: 1.500.000 € brutto
Gesamtkosten Alternative 2: 10.000.000 € brutto
Durch den Entfall des Ingenieurbauwerks ist in den nächsten 25 – 30 Jahren mit Einsparungen von ca. 1 Mio. Euro für Gesamtunterhaltungskosten und ca. 3 Mio. Euro für die – in ca. 25 bis 30 Jahren – neuerlich anstehende Grundinstandsetzung zur Erhaltung des Bauwerks zu rechnen.
Bauzeit
In 2023 wird die Planung der Maßnahme abgeschlossen und ausgeschrieben, um in 2024 die Abbruch-, Verfüll- und Straßenbauarbeiten für die provisorischen Straßenführungen durchzuführen. Im Jahre 2025 erfolgen dann straßenbauliche Restarbeiten.
Die Arbeiten für den endgültigen Knotenpunkt können z. T. parallel laufen bzw. schließen sich unmittelbar an.
Machbarkeit und Beschreibung des neuen Knotenpunkts
Der niveaugleiche Knoten wird als vollsignalisierte Kreuzung ausgebildet. Das Ziel ist hierbei, die Verkehrsflächen möglichst auf das unmittelbar notwendige Maß zu reduzieren (unter Berücksichtigung aller allgemein gültigen Regelwerke und Empfehlungen) und dadurch ggf. frei gewordene Flächen anders zu nutzen. Gleichzeitig ist eine möglichst auskömmliche Verkehrsqualität bei der Planung zu gewährleisten, was durch eine zusätzliche Simulation der Verkehrsflüsse sichergestellt wird. Eine optionale Vorrangschaltung für den Busverkehr wird zusätzlich geprüft.
Die ersten Ergebnisse bestätigen die Machbarkeit eines solchen Vorhabens. Unter Berücksichtigung der prognostizierten Verkehrsmengen für den Zielhorizont 2035 kann auf allen Relationen eine ausreichende Verkehrsqualität für die stark nachgefragten Spitzenstunden nachgewiesen werden. Darüber hinaus wird ein Szenario geprüft, das einen Mehrverkehr als Zunahme durch einen theoretischen Wegfall der Tunnelmaut (z. B. beim Besitzübergang an die Hansestadt Lübeck am Ende der laufenden Konzession) unterstellt. Erste Testdurchläufe sind hierfür hinsichtlich der zur Verfügung stehenden Kapazitäten ebenfalls positiv ausgefallen.
Insgesamt wird jeder Knotenarm aus jeweils sechs Spuren bestehen. Darin sind jeweils die beiden Streckenspuren der B75, des Sandbergs (Straße) und der Travemünder Allee enthalten. Die jeweils übrigen Spuren sind den Abbiegevorgängen vorbehalten. Der Bypass entlang der B75 (Süd-Ost) entfällt. Zusätzlich sind teilweise kurze Spuren für den Busverkehr vorgesehen, die auch als Haltepunkte fungieren (siehe auch Anlage 2). Durch die im Vergleich zum bestehenden niveaufreien Knoten insgesamt kleinere Verkehrsanlage bieten sich dabei Potentiale für zusätzliche/größere Anlagen für den Fuß- und Radverkehr sowie Entsieglungen/Grünanlagen an.
Eine niveaugleiche Kreuzung bietet insgesamt den Vorteil deutlich geringerer Kosten (mangels aufwendigem Ingenieurbauwerk - sowohl in der Investition als auch im Unterhalt) bei geringerem Flächenverbrauch und gleichzeitig weiterhin ausreichender Verkehrsqualität für den Kfz-Verkehr sowie zusätzlicher Verkehrsflächen für den nicht motorisierten Verkehr.
Empfehlung
Es wird aufgrund der geringeren Bau- und Unterhaltungskosten die Ausführung der Alternative 2: Abbruch des Bauwerks und Herstellung eines niveaugleichen Knotenpunktes empfohlen. Darüber hinaus ermöglicht die Alternative 2 die Umgestaltung des gesamten Knotenpunkts einschl. evtl. Reduzierung von befestigen Flächen.
Für die bauliche Ausführung des Knotenpunkts wird es zu einem späteren Zeitpunkt eine separate Projektvorlage geben. Aufgrund des schlechten Bauwerkszustands können beide Projektvorlagen nicht gemeinsam eingereicht werden („Überbau muss bis Ende 2025 erneuert sein“).
Für den weiteren Projektablauf ist diese politische Entscheidung notwendig, um die Planungsleistungen für den Endausbau ausschreiben und beauftragen zu können. Es ist angestrebt, die finale Herstellung des Straßenbaus zeitlich an den Rückbau der Sandbergbrücke anzuschließen.
Finanzierung
Die Kostenschätzung für die Gesamtbaumaßnahme „Abbruch und Herstellung eines niveaugleichen Knotenpunktes“ setzt sich derzeit wie folgt zusammen:
Brückenabbruch inkl. prov. Knotenpunkt | ca. 5.000 TEUR |
Herstellung Knotenpunkt im Endzustand | ca. 3.500 TEUR |
Ing.-Kosten Bauwerk (Objekt- u. Tragwerksplanung, Bauüberwachung, Prüfingenieur, Gutachten usw.) | ca. 1.500 TEUR |
Finanzbedarf Hansestadt Lübeck (brutto) | ca. 10.000 TEUR |
Kosten für die jetzige Projektfreigabe „Abbruch des Bauwerks, Trogverfüllung und Herstellung eines straßenbaulichen Provisoriums“
Brückenabbruch inkl. prov. Knotenpunkt | ca. 5.000 TEUR |
Ing.-Kosten Bauwerk (Objekt- u. Tragwerksplanung, Bauüberwachung, Prüfingenieur, Gutachten usw.) | ca. 1.000 TEUR |
Finanzbedarf Hansestadt Lübeck (brutto) | ca. 6.000 TEUR |
Der jährliche Mittelbedarf für das jetzige Projekt stellt sich wie folgt dar:
Jahr | 2023 | 2024 | 2025 |
Mittelbedarf | 500 TEUR | 4.000 TEUR | 1.500 TEUR |
Zu Beginn des Projektes wurde von einer Grundinstandsetzung ausgegangen. Die voraussichtlich notwendigen Mittel stehen im investiven Haushalt 2023 auf dem Produktsachkonto 542001.145.78520000 Kreisstraßen/Ersatzneubau Sandbergbrücke/Tiefbaumaßnahmen zur Verfügung und weitere investive Mittel wären für 2024 angemeldet worden.
Im Zuge der Planung ergab als Variante 2: Abbruch des Bauwerks und Herstellung eines niveaugleichen Knotenpunktes als sinnvolle Alternative zu einer Grundinstandsetzung. Im Gegensatz zu Ersatzneubauten und Grundinstandsetzungen von Ingenieurbauwerken sind die finanziellen Mittel für einen Bauwerksabbruch inkl. Provisorien aus dem konsumtiven Haushalt bereit zu stellen.
Daher sind die bereits genehmigten und angemeldeten investiven Mittel zu streichen und konsumtive Mittel zunächst für 2023 zu ordnen und für das Haushaltsjahr 2024 anzumelden.
Die konsumtiven Mittel werden für das Jahr 2023 aus dem Bereichsbudget bereitgestellt.
Die bereits benötigten Haushaltsmittel für Voruntersuchungen in Höhe von 50 TEUR wurden durch den laufenden Haushalt 2022 verausgabt.
Die investiven Mittel für den späteren Endausbau werden rechtzeitig für die Haushalte angemeldet.